マアジ

25匹釣れた🎵これからシロギスです。

336閲覧

釣果データ

釣れた日
2023年01月29日 10:30
魚種
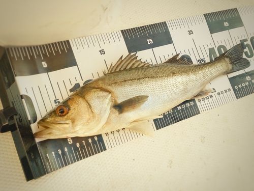
アジ > マアジ
サイズ
17.0cm
重さ
匹数
1匹
都道府県
千葉県
エリア
東京湾
マップの中心は釣果のポイントを示すものではありません。
マアジが釣れる近場の釣果

マアジ × 千葉県

マアジ × 東京湾

この日の釣船・船宿

ルアー

タックル

ロッド
リール
ライン

状況

天気
 4.0℃ 北北東 4.2m/s 1015hPa 
潮位
潮名
月齢
水温
水深
タナ(レンジ)

この日の釣行

日時
2023年01月29日 10:30〜13:34
10:30 釣行開始
東京湾で釣り開始
13:34 釣行終了

釣果はアプリから

釣りSNSアングラーズ (iOS/android)
ダウンロードページのQRコードを表示
アプリで
釣果・釣り場を
サクサク検索。
記録もできる。
今すぐアプリを
ダウンロード