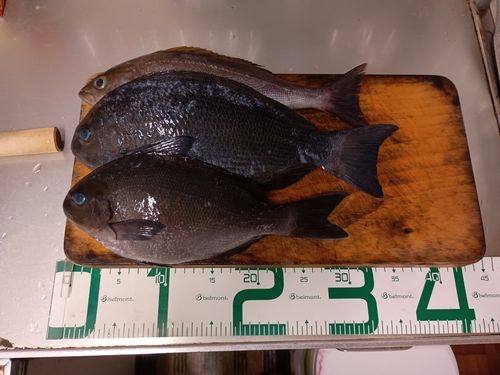
本日の釣果です🐥
年末最後の釣り1日目
九島の波止にて、60分×3セット立ち位置ローテーションで3人で晩御飯を掛けた戦いで2位でした!
最大32センチが釣れた人が1位になりました!
明日も頑張ります(笑)
釣果データ
マップの中心は釣果のポイントを示すものではありません。- クチブトグレが釣れる近場の釣果
タックル
- ロッド
-
-
SHIMANO
- 21極翔 1.2-530
- 68,453円~
- 26 釣果
-
SHIMANO
- リール
-
-
SHIMANO
- 16BB-X デスピナ 2500DXG
- 33,850円~
- 1235 釣果
-
SHIMANO
- ライン
状況
- 天気
- 8.0℃ 北西 8.1m/s 1025hPa
- 潮位
- 124.5cm
- 潮名
- 大潮
- 月齢
- 27.9
- 水温
- 水深
- タナ(レンジ)
この日の釣行
- 日時
- 2024年12月29日 14:59〜14:59
-
- 14:59 釣行開始
-
- 宇和島湾で釣り開始
-
- 14:59 釣行終了
釣り人Fさんの最近の釣果 すべて見る
宇和島湾の他の釣り人の釣果 すべて見る
クチブトグレの他の釣り人の釣果 すべて見る
昔の宇和島湾の釣果
釣果はアプリから
釣りSNSアングラーズ (iOS/android)
