
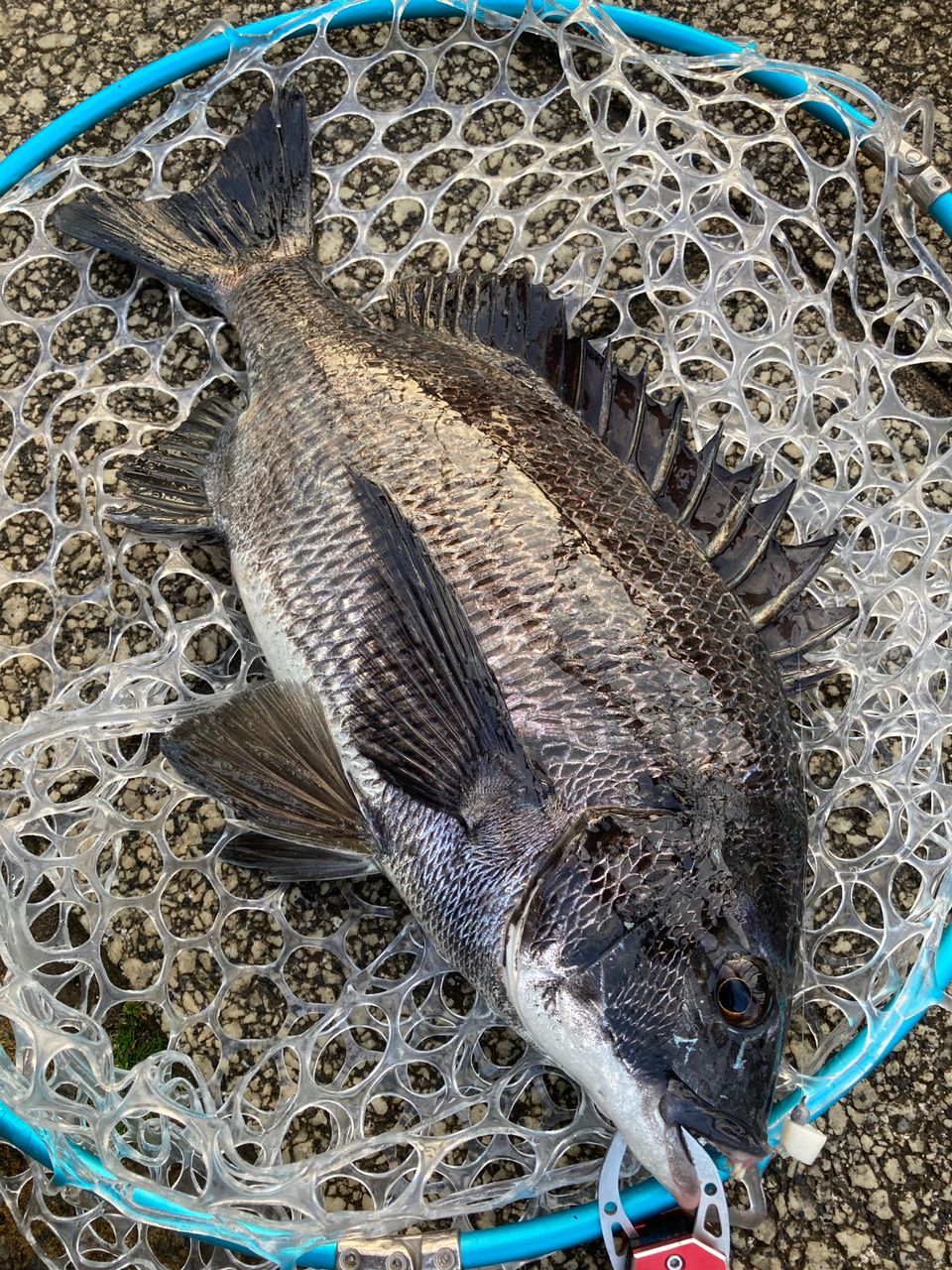
なんか最近下げで左手のが釣れてる😆
久々のチヌキューブパールホワイトS
釣果データ
マップの中心は釣果のポイントを示すものではありません。- チヌが釣れる近場の釣果
タックル
- ロッド
-
-
NISSIN
- INVICTA 2WAY ヘチ 2731
- 118 釣果
-
NISSIN
- リール
-
-
PRO MARINE
- バトルフィールドクロダイ BK90NR
- 5,586円~
- 1261 釣果
-
PRO MARINE
- ライン
状況
- 天気
- 23.0℃ 南 3.6m/s 996hPa
- 潮位
- 198.0cm
- 潮名
- 大潮
- 月齢
- 28.1
- 水温
- 水深
- タナ(レンジ)
この日の釣行
- 日時
- 2025年03月28日 17:12〜17:40
-
- 17:12 釣行開始
-
- 隅田川河口で釣り開始
-
-
NISSIN
ニッシン INVICTA 2WAY ヘチ 2731 -
-
PRO MARINE
プロマリン バトルフィールドクロダイ BK90NR -
- 17:40 釣行終了
釣りデン・ショウジンさんの最近の釣果 すべて見る
隅田川河口の他の釣り人の釣果 すべて見る
チヌの他の釣り人の釣果 すべて見る
この釣果の釣り人について

釣りデン・ショウジン
はじめまして、釣りデンです
YouTubeチャンネル『釣り電車バス通勤TV』で動画を配信しています。
2022年5月からヘチ釣りにハマっていて動画はヘチ釣りがメインです、🎣😊🌈
基本は釣れればなんでもOK
見かけたら気軽に話しかけて下さい
隅田川小名木川合流地点2024年0413
🐟チヌ自己ベスト:53㎝
ヘチ釣り・トトキューブイカ墨ブラック
隅田川・新大橋2023年1125
🐟キビレ自己ベスト45㎝
ヘチ釣り(エサ:チヌキューブ白)
★ヘチ釣り★
2022年分5月から開始
チヌカウンター30枚
(キビレ可)
2023年分4月4日から、
チヌカウンター128枚
(内キビレ3枚)
2024年分1月2日から、
チヌカウンター210枚(1223日)
(内年無し3枚)(内キビレ3枚)
2025年分1月1日から、初黒鯛42㎝
チヌカウンター233枚(0929現在)
(内年無し5枚、0601・0617・0623・0629・0720)
(内キビレ2枚)
2024年6月17日
隅田川、初ツヌケ12枚😁
2024年7月19日
豊洲運河、ツヌケ10枚😁
2025年6月23日
隅田川、ツヌケ13枚😁
2025年5月25日
朝潮運河、カニでシーバス56㎝😁
隅田川清洲橋2024年1209
ダイソーロングビルミノー
初めてルアーでチヌを釣った!
🐟チヌ39㎝
若洲海浜公園人工磯2021年1120
🐟シーバス自己ベスト:65㎝
ルアーフィッシング
豊洲ぐるり公園2021年1225
🐟ゴマサバ自己ベスト:26㎝
ルアーフィッシング
豊洲ぐるり公園2022年0226
🐟カレイ自己ベスト:37㎝
アオイソメ同付き仕掛け
豊洲ぐるり公園先端2024年1125
🐟タチウオ指5本1m 10㎝位
ジョルティ22g
豊洲運河2024年0727
🐟ボラ:約55㎝
ヘチ釣り、ミジ団子
若洲海浜公園売店前2022年1118
🐟メバル:3匹(タナ約110センチ)
ウキ釣りチヌ鈎2号にアオイソメ
春海緑道公園2023年0103
🐟マハゼ:16㎝
ミャク釣り(4匹)
隅田川大橋近く2023年0502🐟
マルタウグイ:54㎝
ヘチ釣り(イガイ団子)
千葉から船鹿島灘2023年0601
🐟カンパチ4匹
ジギング
水の広場公園2023年1002
🐟マゴチ自己ベスト:32㎝
ボトムチニング
(クレイジーフラッパー)
