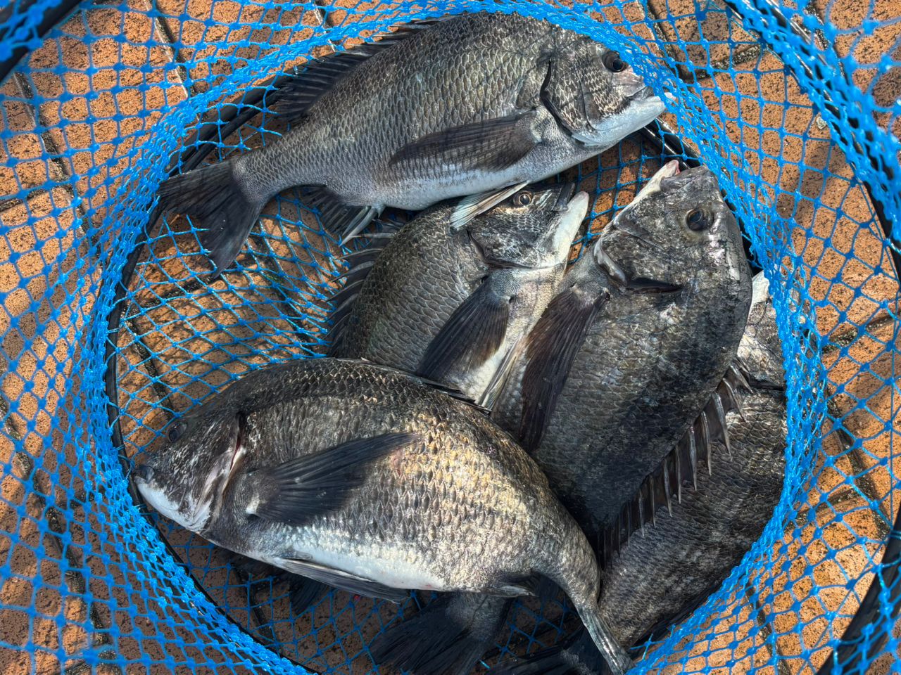
チヌ
チヌ
チヌ

初場所にて10:30〜15:30
までの釣行🎣38〜47㎝を
5枚🐟

711閲覧
コメント16件

釣果データ

釣れた日
2025年04月19日 15:43
魚種
タイ > クロダイ > チヌ
サイズ
47.0cm
重さ
匹数
5匹
都道府県
大阪府
エリア
大阪湾
マップの中心は釣果のポイントを示すものではありません。
チヌが釣れる近場の釣果

チヌ × 大阪府

チヌ × 大阪湾

ルアー

タックル

ロッド
リール
SHIMANO 21テクニウム 2500DXG S
SHIMANO
21テクニウム 2500DXG S
81,057円~
★★★★★
★★★★★ (1)
88 釣果
ライン

状況

天気
 22.0℃ 西南西 4.2m/s 1013hPa 
潮位
48.6cm
潮名
小潮
月齢
20.7
水温
水深
タナ(レンジ)

この日の釣行

日時
2025年04月19日 15:43〜16:03
15:43 釣行開始
大阪湾で釣り開始
SHIMANO
シマノ 21テクニウム 2500DXG S
16:03 釣行終了

釣果はアプリから

釣りSNSアングラーズ (iOS/android)
ダウンロードページのQRコードを表示
アプリで釣果投稿する
アプリで
釣果・釣り場を
サクサク検索。
記録もできる。
今すぐアプリを
ダウンロード