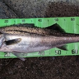
通い続けた甲斐がありました(-_-;)
やっとで出した良いサイズ。
粘ってよかったです(^o^)
ランカーまであと1cm⋯。
釣果データ
マップの中心は釣果のポイントを示すものではありません。- シーバスが釣れる近場の釣果
ルアー
SHIMANO / サイレントアサシン 129S
タックル
- ロッド
- リール
-
-
SHIMANO
- 22ステラ 4000MHG
- 71,000円~
- 1463 釣果
-
SHIMANO
- ライン
状況
- 天気
- 17.0℃ 南南西 1.4m/s 1015hPa
- 潮位
- 9.8cm
- 潮名
- 大潮
- 月齢
- 16.0
- 水温
- 水深
- タナ(レンジ)
この日の釣行
- 日時
- 2025年06月12日 00:31〜00:31
-
- 00:31 釣行開始
-
- 宍道湖で釣り開始
-
- 00:31 釣行終了
L.S.R&Gさんの最近の釣果 すべて見る
宍道湖の他の釣り人の釣果 すべて見る
シーバスの他の釣り人の釣果 すべて見る
昔のシーバスの釣果
釣果はアプリから
釣りSNSアングラーズ (iOS/android)