前回の釣行から約2年半、仕事やら病やら津波警報やらで本日やっとこさ釣糸を垂らす事ができました。
先ずは肩慣らしにオリジナルメーカー海釣り公園にて狙いは黒鯛!
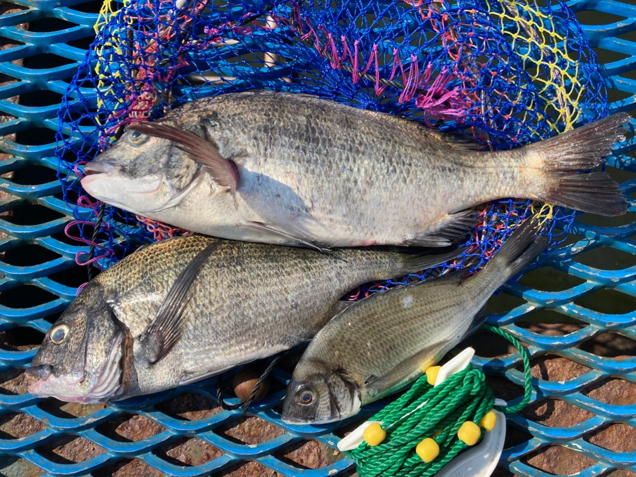
コマセ無しで棚を丁寧に探っていく釣り方となりましたが、久々に棒浮きの反応を楽しめました。
午前中、大潮下げ七分ほどの所で時合い到来!
一投一尾で計7枚、潮止まりを経て午後2時までに40cm2枚追加とバラシ一枚。
海の神様に大感謝の釣行となりました。
他にも多彩な魚種が釣れていたようですが、肝心のベイトとなる小魚の姿が見えなかった事が気がかりでした。
道具と仕掛けは1号530磯竿/廉価版リール/道糸3号/ハリス1.5号1.8m/黒鯛針3.5号/ガン玉3B 3個打ち/自作棒浮、餌は普通の冷凍オキアミ
釣果データ
- 釣れた日
- 2025年09月08日 13:54
- 魚種
- タイ > クロダイ
- サイズ
- 48.0cm
- 重さ
- 匹数
- 1匹
- 都道府県
- 千葉県
- エリア
- オリジナルメーカー海釣り公園
- クロダイが釣れる近場の釣果
タックル
- ロッド
- リール
- ライン
状況
- 天気
- 30.0℃ 西 1.9m/s 1009hPa
- 潮位
- 50.6cm
- 潮名
- 大潮
- 月齢
- 15.9
- 水温
- 水深
- タナ(レンジ)
この日の釣行
- 日時
- 2025年09月08日 13:54〜13:54
-
- 13:54 釣行開始
-
- オリジナルメーカー海釣り公園で釣り開始
-
- 13:54 釣行終了
オリジナルメーカー海釣り公園の他の釣り人の釣果 すべて見る
クロダイの他の釣り人の釣果 すべて見る
昔のオリジナルメーカー海釣り公園の釣果
釣果はアプリから
釣りSNSアングラーズ (iOS/android)