ハマチ

全然投稿できていませんが、
ちゃんと釣り行ってます🎣🐟
今日は少し荒れてました😂

159閲覧

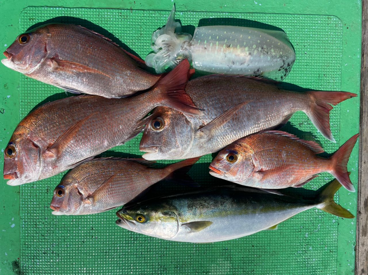
釣果データ

釣れた日
2025年11月06日 11:01
魚種
ブリ > ブリ > ハマチ
サイズ
重さ
匹数
1匹
都道府県
徳島県
エリア
播磨灘
マップの中心は釣果のポイントを示すものではありません。
ハマチが釣れる近場の釣果

ハマチ × 徳島県

ハマチ × 播磨灘

この日の釣船・船宿

ルアー

タックル

ロッド
リール
ライン

状況

天気
 16.0℃ 北西 3.9m/s 1020hPa 
潮位
114.4cm
潮名
大潮
月齢
15.6
水温
水深
タナ(レンジ)

この日の釣行

日時
2025年11月06日 11:01〜11:01
11:01 釣行開始
播磨灘で釣り開始
11:01 釣行終了

釣果はアプリから

釣りSNSアングラーズ (iOS/android)
ダウンロードページのQRコードを表示
アプリで釣果投稿する
アプリで
釣果・釣り場を
サクサク検索。
記録もできる。
今すぐアプリを
ダウンロード