クロダイ
クロダイ
クロダイ

網干し場です
フカセ釣りでグレ狙いです
時合は、下げ始め前後でした
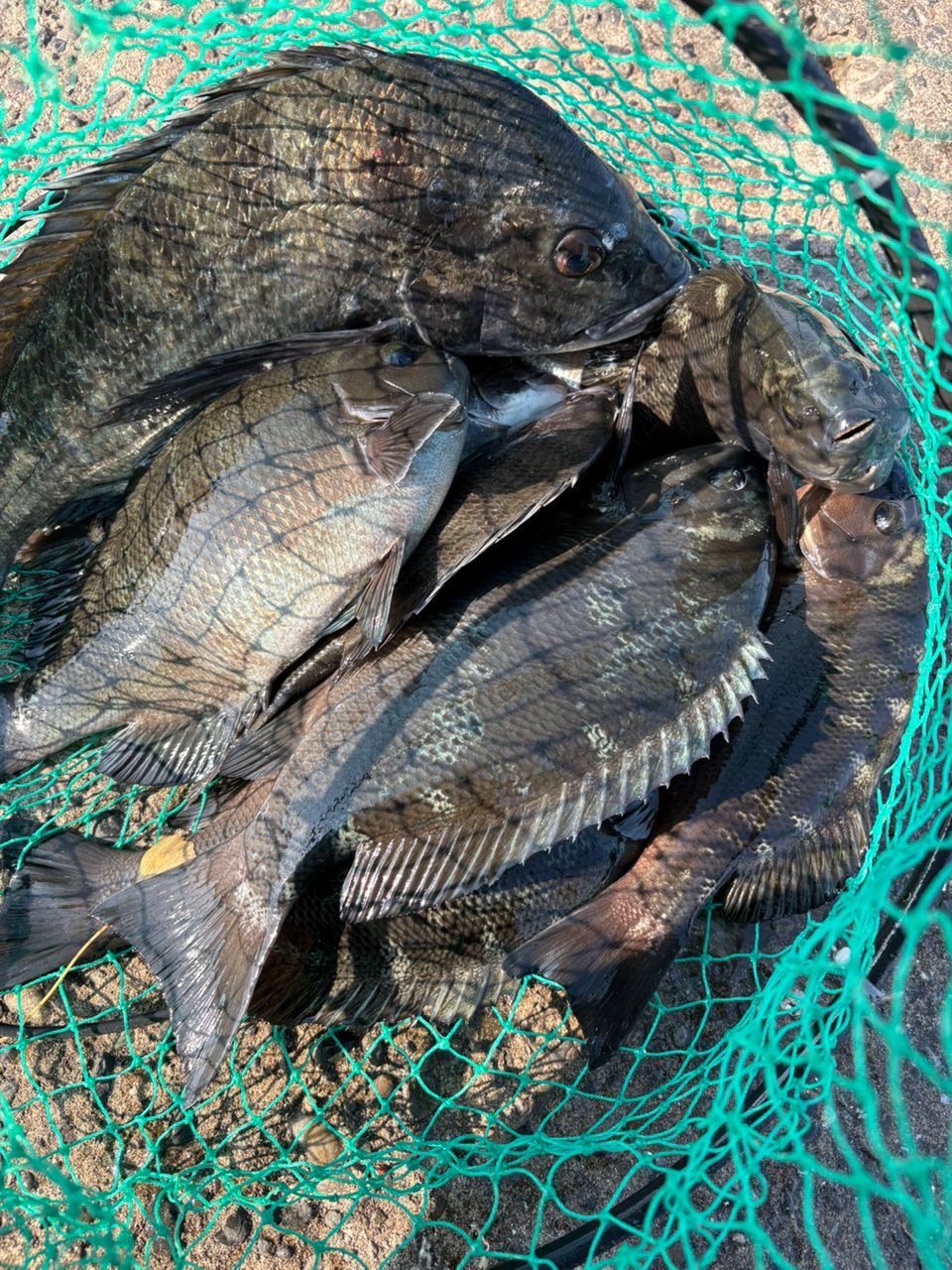
潮がゆっくりのときは、チヌの活性が高かったですが、潮が効いてくるとグレが連発しました
一ヒロ前後の棚です
チヌは、チンタサイズも含め、5枚
グレは、足裏サイズから30センチぐらいのが5枚でした

1,137閲覧
コメント3件

釣果データ

釣れた日
2025年12月08日 12:00
魚種
タイ > クロダイ
サイズ
42.0cm
重さ
匹数
1匹
都道府県
静岡県
エリア
表浜名湖
マップの中心は釣果のポイントを示すものではありません。
クロダイが釣れる近場の釣果

クロダイ × 静岡県

クロダイ × 表浜名湖

ルアー

タックル

ロッド
リール
ライン

状況

天気
 15.0℃ 西北西 5.6m/s 1019hPa 
潮位
82.2cm
潮名
中潮
月齢
17.8
水温
水深
タナ(レンジ)

この日の釣行

日時
2025年12月08日 12:00〜12:00
12:00 釣行開始
表浜名湖で釣り開始
12:00 釣行終了

釣果はアプリから

釣りSNSアングラーズ (iOS/android)
ダウンロードページのQRコードを表示
アプリで
釣果・釣り場を
サクサク検索。
記録もできる。
今すぐアプリを
ダウンロード