釣行の概要
- 釣り人
- Naberius
- 日時
- 2025年05月01日(木) 21:56〜21:56
- 釣果投稿
- 1 釣果
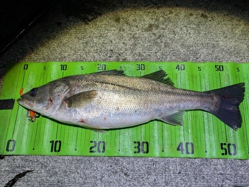
- 釣った魚
- 天気
- 14.0℃ 南南東 6.4m/s 1020hPa
- 都道府県
- 宮城県
- エリア
- 松島湾
- 潮名-月齢
- 中潮 3.3
マップの中心は釣果のポイントを示すものではありません。
釣行の内容
-
- 21:56 釣行開始
-
- 松島湾 で釣り開始
-
- 21:56 釣行終了
※公開されている釣果のみ表示しております。非公開釣果、メモは表示されません。
※プロフィールの年間釣行数は非公開釣果を含むため、表示日数が異なる場合があります。
※プロフィールの年間釣行数は非公開釣果を含むため、表示日数が異なる場合があります。
Naberiusの2025年05月の釣行
松島湾の他の釣り人の釣行
2025年05月
31日(土)
17:33〜17:33
1投稿
Guest03886746 さんの釣行
29日(木)
05:09〜05:09
1投稿
しおからにビール
さんの釣行
さんの釣行
28日(水)
05:32〜05:32
1投稿
(株)いろは さんの釣行
28日(水)
03:52〜03:52
1投稿
しおからにビール
さんの釣行
さんの釣行
フッコ(マルスズキ)の他の釣り人の釣行
2025年05月
31日(土)
20:01〜20:01
1投稿
きのしたか さんの釣行
31日(土)
18:38〜18:38
1投稿
バジリコ さんの釣行
31日(土)
島根県出雲市近辺
18:29〜18:37
1投稿
マイスター侍 さんの釣行
31日(土)
04:45〜09:33
4投稿
takosu- さんの釣行