釣行の概要
- 釣り人
- 沼人(ぬまんちゅ)
- 日時
- 2025年06月29日(日) 17:00〜18:43
- 釣果投稿
- 4 釣果
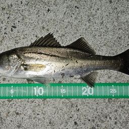
- 釣った魚
- 天気
- 25.0℃ 南 1.4m/s 1009hPa
- 都道府県
- 宮城県
- エリア
- 大島瀬戸
- 潮名-月齢
- 中潮 3.7
マップの中心は釣果のポイントを示すものではありません。
釣行の内容
-
- 17:00 釣行開始
-
- 大島瀬戸 で釣り開始
-
-
DAIWA
ダイワ UVF 月下美人デュラヘビー×4+1+Si2 0.3号 ホワイトピンク/5.1lb AVE. 



-
- 18:43 釣行終了
※公開されている釣果のみ表示しております。非公開釣果、メモは表示されません。
※プロフィールの年間釣行数は非公開釣果を含むため、表示日数が異なる場合があります。
※プロフィールの年間釣行数は非公開釣果を含むため、表示日数が異なる場合があります。
沼人(ぬまんちゅ)の2025年06月の釣行
2025年06月
30日(月)
宮城県気仙沼市近辺
19:25〜20:30
1投稿
29日(日)
17:00〜18:43
4投稿
28日(土)
19:54〜21:00
1投稿
27日(金)
19:15〜21:30
1投稿
26日(木)
19:50〜21:00
1投稿
24日(火)
20:00〜21:00
1投稿
23日(月)
19:15〜21:00
1投稿
22日(日)
19:30〜21:20
1投稿
21日(土)
18:31〜21:40
5投稿
20日(金)
19:48〜22:55
4投稿
19日(木)
20:33〜20:33
1投稿
18日(水)
19:20〜21:00
2投稿
17日(火)
19:20〜20:30
1投稿
16日(月)
19:30〜21:00
2投稿
15日(日)
19:20〜21:45
2投稿
13日(金)
19:30〜21:30
1投稿
12日(木)
19:57〜19:57
1投稿
11日(水)
21:00〜22:30
1投稿
10日(火)
19:30〜21:50
1投稿
09日(月)
20:00〜21:30
1投稿
08日(日)
19:15〜22:15
1投稿
07日(土)
19:30〜20:48
2投稿
06日(金)
20:00〜23:59
1投稿
05日(木)
19:30〜21:45
1投稿
04日(水)
19:44〜22:25
2投稿
02日(月)
19:30〜21:00
1投稿
01日(日)
19:55〜20:30
1投稿
30日(月)
宮城県気仙沼市近辺
19:25〜20:30
1投稿
29日(日)
17:00〜18:43
4投稿
28日(土)
19:54〜21:00
1投稿
27日(金)
19:15〜21:30
1投稿
26日(木)
19:50〜21:00
1投稿
24日(火)
20:00〜21:00
1投稿
23日(月)
19:15〜21:00
1投稿
22日(日)
19:30〜21:20
1投稿
21日(土)
18:31〜21:40
5投稿
20日(金)
19:48〜22:55
4投稿
19日(木)
20:33〜20:33
1投稿
18日(水)
19:20〜21:00
2投稿
17日(火)
19:20〜20:30
1投稿
16日(月)
19:30〜21:00
2投稿
15日(日)
19:20〜21:45
2投稿
13日(金)
19:30〜21:30
1投稿
12日(木)
19:57〜19:57
1投稿
11日(水)
21:00〜22:30
1投稿
10日(火)
19:30〜21:50
1投稿
09日(月)
20:00〜21:30
1投稿
08日(日)
19:15〜22:15
1投稿
07日(土)
19:30〜20:48
2投稿
06日(金)
20:00〜23:59
1投稿
05日(木)
19:30〜21:45
1投稿
04日(水)
19:44〜22:25
2投稿
02日(月)
19:30〜21:00
1投稿
01日(日)
19:55〜20:30
1投稿
大島瀬戸の他の釣り人の釣行
2025年06月
30日(月)
宮城県石巻市近辺
07:02〜20:11
2投稿
Bb.Shd さんの釣行
29日(日)
21:33〜21:33
1投稿
休日ていぼう日誌 さんの釣行
28日(土)
20:31〜22:00
1投稿
夜の釣り人 さんの釣行
27日(金)
20:50〜20:50
1投稿
夜の釣り人 さんの釣行
メジナの他の釣り人の釣行
2025年06月
30日(月)
18:00〜18:00
1投稿
群馬から海へ
さんの釣行
さんの釣行
30日(月)
17:23〜17:23
1投稿
まつまつぎ さんの釣行
29日(日)
22:51〜22:51
1投稿
かず@魚屋アングラー
さんの釣行
さんの釣行
29日(日)
19:13〜19:13
1投稿
ウオトリ さんの釣行