釣行の概要
- 釣り人
- seadays51
- 日時
- 2025年11月06日(木) 13:00〜13:00
- 釣果投稿
- 1 釣果
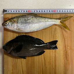
- 釣った魚
- 天気
- 16.0℃ 北 7.5m/s 1018hPa
- 都道府県
- 神奈川県
- エリア
- 東扇島西公園
- 潮名-月齢
- 大潮 15.6
マップの中心は釣果のポイントを示すものではありません。
釣行の内容
-
- 13:00 釣行開始
-
- 東扇島西公園 で釣り開始
-
- 13:00 釣行終了
※公開されている釣果のみ表示しております。非公開釣果、メモは表示されません。
※プロフィールの年間釣行数は非公開釣果を含むため、表示日数が異なる場合があります。
※プロフィールの年間釣行数は非公開釣果を含むため、表示日数が異なる場合があります。
東扇島西公園の他の釣り人の釣行
2025年11月
29日(土)
20:41〜20:41
1投稿
龍皇
さんの釣行
さんの釣行
29日(土)
14:00〜14:00
1投稿
HAMAN さんの釣行
29日(土)
13:00〜13:15
2投稿
さきまろ さんの釣行
29日(土)
09:23〜09:23
1投稿
魚が呼んでいる さんの釣行
コノシロの他の釣り人の釣行
2025年11月
30日(日)
07:17〜07:17
5投稿
ねもfishing さんの釣行
29日(土)
18:00〜18:00
1投稿
湊あおい🐳夜釣り好き さんの釣行
29日(土)
17:38〜17:38
1投稿
道頓ボーイ さんの釣行
29日(土)
17:20〜17:20
1投稿
やまお🔰 さんの釣行