釣行の概要
- 釣り人
- アングラー35414790
- 日時
- 2025年05月02日(金) 03:56〜03:56
- 釣果投稿
- 1 釣果
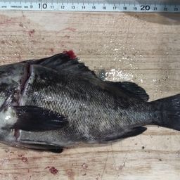
- 釣った魚
- 天気
- 8.0℃ 東 2.2m/s 1014hPa
- 都道府県
- 青森県
- エリア
- 青森県青森市近辺
- 潮名-月齢
- 中潮 4.3
マップの中心は釣果のポイントを示すものではありません。
釣行の内容
※公開されている釣果のみ表示しております。非公開釣果、メモは表示されません。
※プロフィールの年間釣行数は非公開釣果を含むため、表示日数が異なる場合があります。
※プロフィールの年間釣行数は非公開釣果を含むため、表示日数が異なる場合があります。
ソイの他の釣り人の釣行
2025年05月
31日(土)
21:05〜21:05
1投稿

ブラクリ(•‿•) さんの釣行
31日(土)
20:03〜21:00
4投稿




釣りバカ オヤジ さんの釣行
31日(土)
19:08〜23:38
2投稿


貧貧 さんの釣行
31日(土)
16:09〜16:09
1投稿

クロダイコン9601 さんの釣行