釣行の概要
- 釣り人
- 夜の釣り人
- 日時
- 2025年05月23日(金) 19:14〜22:09
- 釣果投稿
- 4 釣果
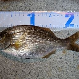
- 釣った魚
- 天気
- 13.0℃ 東南東 4.4m/s 1018hPa
- 都道府県
- 宮城県
- エリア
- 大沢漁港
- 潮名-月齢
- 若潮 25.3
マップの中心は釣果のポイントを示すものではありません。
釣行の内容
※公開されている釣果のみ表示しております。非公開釣果、メモは表示されません。
※プロフィールの年間釣行数は非公開釣果を含むため、表示日数が異なる場合があります。
※プロフィールの年間釣行数は非公開釣果を含むため、表示日数が異なる場合があります。
夜の釣り人の2025年05月の釣行
2025年05月
29日(木)
19:14〜22:00
2投稿
28日(水)
18:58〜21:57
5投稿
26日(月)
22:08〜22:08
1投稿
24日(土)
19:32〜22:00
2投稿
23日(金)
19:14〜22:09
4投稿
20日(火)
19:04〜21:30
2投稿
19日(月)
19:39〜21:52
5投稿
16日(金)
19:14〜22:17
5投稿
15日(木)
19:04〜22:34
5投稿
14日(水)
19:53〜21:18
3投稿
13日(火)
20:17〜21:03
3投稿
12日(月)
20:42〜20:42
1投稿
09日(金)
20:53〜20:53
1投稿
08日(木)
21:37〜21:48
2投稿
07日(水)
19:25〜21:36
2投稿
05日(月)
20:54〜22:30
6投稿
04日(日)
22:59〜22:59
1投稿
01日(木)
21:08〜21:08
1投稿
29日(木)
19:14〜22:00
2投稿
28日(水)
18:58〜21:57
5投稿
26日(月)
22:08〜22:08
1投稿
24日(土)
19:32〜22:00
2投稿
23日(金)
19:14〜22:09
4投稿
20日(火)
19:04〜21:30
2投稿
19日(月)
19:39〜21:52
5投稿
16日(金)
19:14〜22:17
5投稿
15日(木)
19:04〜22:34
5投稿
14日(水)
19:53〜21:18
3投稿
13日(火)
20:17〜21:03
3投稿
12日(月)
20:42〜20:42
1投稿
09日(金)
20:53〜20:53
1投稿
08日(木)
21:37〜21:48
2投稿
07日(水)
19:25〜21:36
2投稿
05日(月)
20:54〜22:30
6投稿
04日(日)
22:59〜22:59
1投稿
01日(木)
21:08〜21:08
1投稿
ウグイの他の釣り人の釣行
2025年05月
31日(土)
10:23〜15:04
3投稿
正浩1010 さんの釣行
30日(金)
19:44〜21:42
3投稿
パパさる さんの釣行
30日(金)
18:04〜18:51
2投稿
ディライトホッカイドウ おやっさん
さんの釣行
さんの釣行
30日(金)
12:17〜12:17
1投稿
アルト🔰釣り初心者です🔰 さんの釣行