釣行の概要
- 釣り人
- つりしげ
- 日時
- 2025年07月12日(土) 15:00〜22:39
- 釣果投稿
- 2 釣果
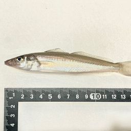
- 釣った魚
- 天気
- 24.0℃ 東南東 3.9m/s 1011hPa
- 都道府県
- 神奈川県
- エリア
- 葉山港
- 潮名-月齢
- 中潮 16.7
マップの中心は釣果のポイントを示すものではありません。
釣行の内容
-
- 15:00 釣行開始
-
- 葉山港 で釣り開始
-
-
DAIWA
ダイワ PR100 100 
-
- 22:39 釣行終了
※公開されている釣果のみ表示しております。非公開釣果、メモは表示されません。
※プロフィールの年間釣行数は非公開釣果を含むため、表示日数が異なる場合があります。
※プロフィールの年間釣行数は非公開釣果を含むため、表示日数が異なる場合があります。
シロギスの他の釣り人の釣行
2025年07月
31日(木)
21:37〜21:37
1投稿
ぶどうまん さんの釣行
31日(木)
18:28〜18:56
2投稿
YUJI CDMX さんの釣行
31日(木)
11:18〜11:18
1投稿
1091fish さんの釣行
31日(木)
08:00〜08:00
1投稿
Kashmir
さんの釣行
さんの釣行