釣行の概要
- 釣り人
- オグ( ^-^)ノ∠※。.:*:・'°☆
- 日時
- 2025年08月14日(木) 05:00〜07:00
- 釣果投稿
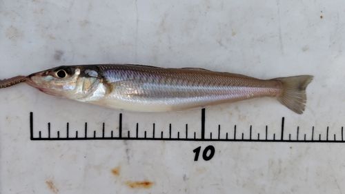
- 1 釣果
- 釣った魚
- 天気
- 25.0℃ 東北東 2.8m/s 1017hPa
- 都道府県
- 千葉県
- エリア
- 高洲海浜公園
- 潮名-月齢
- 中潮 20.3
マップの中心は釣果のポイントを示すものではありません。
釣行の内容
-
- 05:00 釣行開始
-
- 高洲海浜公園 で釣り開始

-
- 07:00 釣行終了
※公開されている釣果のみ表示しております。非公開釣果、メモは表示されません。
※プロフィールの年間釣行数は非公開釣果を含むため、表示日数が異なる場合があります。
※プロフィールの年間釣行数は非公開釣果を含むため、表示日数が異なる場合があります。
オグ( ^-^)ノ∠※。.:*:・'°☆の2025年08月の釣行
2025年08月
30日(土)
08:01〜10:00
1投稿
30日(土)
04:30〜08:00
1投稿
16日(土)
03:30〜11:00
3投稿
14日(木)
05:00〜07:00
1投稿
12日(火)
04:30〜13:00
1投稿
04日(月)
05:00〜07:00
1投稿
03日(日)
04:30〜07:00
2投稿
30日(土)
08:01〜10:00
1投稿
30日(土)
04:30〜08:00
1投稿
16日(土)
03:30〜11:00
3投稿
14日(木)
05:00〜07:00
1投稿
12日(火)
04:30〜13:00
1投稿
04日(月)
05:00〜07:00
1投稿
03日(日)
04:30〜07:00
2投稿
高洲海浜公園の他の釣り人の釣行
2025年08月
31日(日)
14:01〜14:01
1投稿
flam さんの釣行
31日(日)
08:00〜12:00
1投稿
釣り組合・副組長 さんの釣行
31日(日)
06:00〜17:10
2投稿
akira4502
さんの釣行
さんの釣行
30日(土)
16:48〜16:48
1投稿
頭文字どっこいしょ さんの釣行
キスの他の釣り人の釣行
2025年08月
31日(日)
22:02〜22:02
1投稿
ねこたん さんの釣行
31日(日)
21:34〜22:44
3投稿
たくぞう1226 さんの釣行
31日(日)
21:30〜01:00
5投稿
Guest33476833 さんの釣行
31日(日)
21:24〜21:24
1投稿
釣りバカおっさん さんの釣行