釣行の概要
- 釣り人
- 🏯忍の国伊賀釣忍者🏯

- 日時
- 2025年09月14日(日) 08:58〜14:26
- 釣果投稿
- 7 釣果
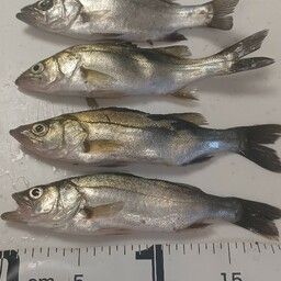
- 釣った魚
- 天気
- 25.0℃ 西北西 1.4m/s 1011hPa
- 都道府県
- 三重県
- エリア
- 雲出川古川河口
マップの中心は釣果のポイントを示すものではありません。
釣行の内容
※公開されている釣果のみ表示しております。非公開釣果、メモは表示されません。
※プロフィールの年間釣行数は非公開釣果を含むため、表示日数が異なる場合があります。
※プロフィールの年間釣行数は非公開釣果を含むため、表示日数が異なる場合があります。
🏯忍の国伊賀釣忍者🏯
の2025年09月の釣行
2025年09月
27日(土)
三重県志摩市近辺
11:00〜19:01
5投稿
21日(日)
12:00〜18:13
4投稿
14日(日)
08:58〜14:26
7投稿
07日(日)
02:00〜02:00
1投稿
06日(土)
三重県津市近辺
00:00〜23:00
5投稿
27日(土)
三重県志摩市近辺
11:00〜19:01
5投稿
21日(日)
12:00〜18:13
4投稿
14日(日)
08:58〜14:26
7投稿
07日(日)
02:00〜02:00
1投稿
06日(土)
三重県津市近辺
00:00〜23:00
5投稿
雲出川古川河口の他の釣り人の釣行
2025年09月
14日(日)
03:22〜12:39
4投稿
釣りキチ君 さんの釣行
07日(日)
07:51〜07:51
1投稿
mie tm さんの釣行
07日(日)
06:27〜06:27
1投稿
鈴木誠吾 さんの釣行
カサゴの他の釣り人の釣行
2025年09月
30日(火)
22:56〜23:00
2投稿
Capibara manzi
さんの釣行
さんの釣行
30日(火)
22:02〜23:22
3投稿
なんちゅうか本チヌか
さんの釣行
さんの釣行
30日(火)
21:46〜21:46
1投稿
知多半島よっし〜
さんの釣行
さんの釣行
30日(火)
21:31〜23:35
3投稿
釣りバカたけちゃん さんの釣行