釣行の概要
- 釣り人
- TeraD
- 日時
- 2025年10月04日(土) 14:11〜14:11
- 釣果投稿
- 1 釣果
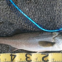
- 釣った魚
- 天気
- 21.0℃ 東 1.7m/s 1018hPa
- 都道府県
- 兵庫県
- エリア
- 大阪湾
- 潮名-月齢
- 中潮 12.3
マップの中心は釣果のポイントを示すものではありません。
釣行の内容
-
- 14:11 釣行開始
-
- 大阪湾 で釣り開始
-
-
DAIWA
ダイワ シルバーウルフEX 72MLB-S -
-
DAIWA
ダイワ 24スティーズ 100XH -
- 14:11 釣行終了
※公開されている釣果のみ表示しております。非公開釣果、メモは表示されません。
※プロフィールの年間釣行数は非公開釣果を含むため、表示日数が異なる場合があります。
※プロフィールの年間釣行数は非公開釣果を含むため、表示日数が異なる場合があります。
TeraDの2025年10月の釣行
2025年10月
24日(金)
16:10〜16:10
1投稿
22日(水)
20:03〜20:03
1投稿
21日(火)
21:43〜21:43
1投稿
19日(日)
20:35〜20:35
1投稿
18日(土)
13:53〜13:53
1投稿
17日(金)
08:19〜08:19
1投稿
13日(月)
13:33〜13:33
1投稿
12日(日)
15:51〜15:51
1投稿
11日(土)
15:25〜15:25
1投稿
10日(金)
14:06〜14:06
1投稿
05日(日)
14:11〜15:46
1投稿
04日(土)
14:11〜14:11
1投稿
01日(水)
18:33〜18:33
1投稿
24日(金)
16:10〜16:10
1投稿
22日(水)
20:03〜20:03
1投稿
21日(火)
21:43〜21:43
1投稿
19日(日)
20:35〜20:35
1投稿
18日(土)
13:53〜13:53
1投稿
17日(金)
08:19〜08:19
1投稿
13日(月)
13:33〜13:33
1投稿
12日(日)
15:51〜15:51
1投稿
11日(土)
15:25〜15:25
1投稿
10日(金)
14:06〜14:06
1投稿
05日(日)
14:11〜15:46
1投稿
04日(土)
14:11〜14:11
1投稿
01日(水)
18:33〜18:33
1投稿
大阪湾の他の釣り人の釣行
2025年10月
24日(金)
17:14〜17:14
1投稿
釣り侍★
さんの釣行
さんの釣行
24日(金)
16:37〜16:37
1投稿
tr
さんの釣行
さんの釣行
24日(金)
15:45〜15:45
1投稿
SOUTH(サウス) さんの釣行
24日(金)
14:05〜14:05
1投稿
釣船熊人(くまんちゅ) さんの釣行
チヌの他の釣り人の釣行
2025年10月
24日(金)
18:01〜18:01
2投稿
よしくんです さんの釣行
24日(金)
15:45〜15:45
1投稿
DISK akc さんの釣行
24日(金)
10:26〜10:26
1投稿
キアヌ・リーブス(偽物) さんの釣行
24日(金)
09:35〜09:35
1投稿
のんび~りアングラー さんの釣行
この釣行の釣り人について
TeraD
【!憶測での中傷が酷いのでコメントオフにしてます!】
主に阪神圏でチニング、シーバス、エギングをしています。
よろしくお願いします!
〜トーナメントへの挑戦〜
■fimo全日本チニングGP2023
・第一戦全国3位近畿1位
・第二戦全国3位近畿1位
・第三戦全国8位近畿3位
年間ポイントランキング2位
■fimoチヌ王GP2024
・第一戦全国5位近畿1位
・第二戦全国3位近畿2位
年間ポイントランキング2位
■fimoチヌ王GP2025
・第一戦全国1位近畿1位👑
■釣り具のブンブン西昆陽店フォトコンテスト2023 3位
■O.S.P戦チニング合戦2023 7位
■O.S.P戦チニング合戦2024 4位