釣行の概要
- 釣り人
- ポニーテール親父
- 日時
- 2025年10月07日(火) 19:50〜19:50
- 釣果投稿
- 1 釣果
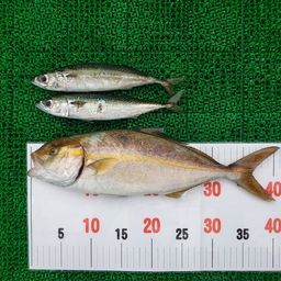
- 釣った魚
- 天気
- 21.0℃ 南 2.5m/s 1017hPa
- 都道府県
- 三重県
- エリア
- 五ヶ所湾
- 潮名-月齢
- 大潮 15.3
マップの中心は釣果のポイントを示すものではありません。
釣行の内容
-
- 19:50 釣行開始
-
- 五ヶ所湾 で釣り開始
-
-
tailwalk
テイルウォーク アジスト SD S55/SL -
- 19:50 釣行終了
※公開されている釣果のみ表示しております。非公開釣果、メモは表示されません。
※プロフィールの年間釣行数は非公開釣果を含むため、表示日数が異なる場合があります。
※プロフィールの年間釣行数は非公開釣果を含むため、表示日数が異なる場合があります。
ポニーテール親父の2025年10月の釣行
五ヶ所湾の他の釣り人の釣行
2025年10月
13日(月)
07:00〜07:00
1投稿

かめっち さんの釣行
12日(日)
15:55〜15:55
1投稿

引きを求める釣り人T.K さんの釣行
12日(日)
07:00〜07:00
1投稿

かめっち さんの釣行
12日(日)
06:38〜06:38
1投稿

秀太 さんの釣行
アジの他の釣り人の釣行
2025年10月
16日(木)
01:34〜01:34
1投稿

H.Nakashima さんの釣行
15日(水)
22:46〜22:46
1投稿

まさおSAN
さんの釣行

15日(水)
22:40〜22:40
1投稿

アジの塩焼き さんの釣行
15日(水)
22:22〜22:22
1投稿

きまいげAJING さんの釣行