釣行の概要
マップの中心は釣果のポイントを示すものではありません。
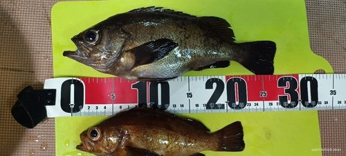
釣行の内容
-
- 18:03 釣行開始
-
- 淡路島 で釣り開始
-
- 19:05 釣行終了
※公開されている釣果のみ表示しております。非公開釣果、メモは表示されません。
※プロフィールの年間釣行数は非公開釣果を含むため、表示日数が異なる場合があります。
※プロフィールの年間釣行数は非公開釣果を含むため、表示日数が異なる場合があります。
yodnの2025年10月の釣行
2025年10月
12日(日)
18:03〜19:05
3投稿
10日(金)
19:11〜19:25
2投稿
03日(金)
18:57〜19:27
2投稿
12日(日)
18:03〜19:05
3投稿



10日(金)
19:11〜19:25
2投稿


03日(金)
18:57〜19:27
2投稿


淡路島の他の釣り人の釣行
2025年10月
13日(月)
18:41〜18:41
1投稿

あわじい さんの釣行
13日(月)
11:56〜11:56
1投稿

IKADA★STYLE ボラ名人 さんの釣行
12日(日)
17:14〜17:14
1投稿

釣りする中学生 さんの釣行
12日(日)
17:07〜17:31
3投稿



しろけんこう さんの釣行
アジの他の釣り人の釣行
2025年10月
13日(月)
22:40〜00:10
1投稿

ちよまる
さんの釣行

13日(月)
22:35〜22:35
1投稿

狂ったアングラー さんの釣行
13日(月)
三重県鳥羽市近辺
22:15〜22:15
1投稿

☆マロニー☆ さんの釣行
13日(月)
21:48〜21:48
1投稿

H.Nakashima さんの釣行