釣行の概要
- 釣り人
- YO

- 日時
- 2025年11月20日(木) 18:45〜18:45
- 釣果投稿
- 1 釣果
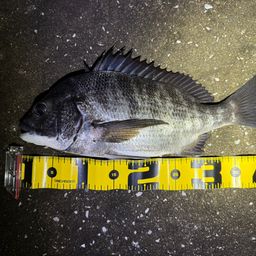
- 釣った魚
- 天気
- 13.0℃ 西 2.2m/s 1022hPa
- 都道府県
- 愛知県
- エリア
- 庄内川河口
- 潮名-月齢
- 大潮 29.6
マップの中心は釣果のポイントを示すものではありません。
釣行の内容
-
- 18:45 釣行開始
-
- 庄内川河口 で釣り開始
-
-
APIA
アピア グランデージ スタンダード 86MH LUNKER-ORIENTED -
-
DAIWA
ダイワ 16セルテート 3012H -
- 18:45 釣行終了
※公開されている釣果のみ表示しております。非公開釣果、メモは表示されません。
※プロフィールの年間釣行数は非公開釣果を含むため、表示日数が異なる場合があります。
※プロフィールの年間釣行数は非公開釣果を含むため、表示日数が異なる場合があります。
YO
の2025年11月の釣行
2025年11月
20日(木)
18:45〜18:45
1投稿
19日(水)
16:54〜17:56
2投稿
04日(火)
17:16〜17:16
1投稿
20日(木)
18:45〜18:45
1投稿
19日(水)
16:54〜17:56
2投稿
04日(火)
17:16〜17:16
1投稿
庄内川河口の他の釣り人の釣行
2025年11月
20日(木)
02:53〜04:21
4投稿
夜光虫
さんの釣行
さんの釣行
19日(水)
19:22〜19:22
1投稿
三度の飯より さんの釣行
18日(火)
23:35〜23:35
1投稿
ponlzzz さんの釣行
18日(火)
19:25〜19:25
1投稿
アングラー3865571 さんの釣行
シーバスの他の釣り人の釣行
2025年11月
21日(金)
00:40〜00:40
1投稿
まー太朗 さんの釣行
21日(金)
00:00〜00:21
2投稿
ラーピラーピ さんの釣行
20日(木)
23:29〜23:53
2投稿
ドッコイしょういち さんの釣行
20日(木)
23:18〜23:18
1投稿
T-PON さんの釣行