釣行の概要
- 釣り人
- あんこマロン
- 日時
- 2026年02月05日(木) 21:30〜21:30
- 釣果投稿
- 1 釣果
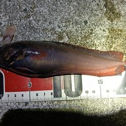
- 釣った魚
- 天気
- 6.0℃ 南西 2.2m/s 1014hPa
- 都道府県
- 宮城県
- エリア
- 名取川河口
- 潮名-月齢
- 中潮 17.3
マップの中心は釣果のポイントを示すものではありません。
釣行の内容
-
- 21:30 釣行開始
-
- 名取川河口 で釣り開始
-
-
Fishman
フィッシュマン ビームス inte7.7UL インテ7.7UL -
-
DAIWA
ダイワ 25アルファス BF TW8.5L 8.5L -
- 21:30 釣行終了
※公開されている釣果のみ表示しております。非公開釣果、メモは表示されません。
※プロフィールの年間釣行数は非公開釣果を含むため、表示日数が異なる場合があります。
※プロフィールの年間釣行数は非公開釣果を含むため、表示日数が異なる場合があります。
名取川河口の他の釣り人の釣行
2026年02月
11日(水)
18:09〜18:09
1投稿
メタルジグマイクロ さんの釣行
11日(水)
06:19〜06:19
1投稿
Brocco・Lee さんの釣行
09日(月)
19:20〜19:20
1投稿
時短釣り人 ジン さんの釣行
05日(木)
18:00〜19:12
2投稿
4x4Angler
さんの釣行
さんの釣行
シーバスの他の釣り人の釣行
2026年02月
12日(木)
06:58〜07:08
2投稿
いろりん豚 さんの釣行
12日(木)
04:06〜04:06
1投稿
おしるこ22 さんの釣行
12日(木)
香川県坂出市近辺
03:37〜03:37
1投稿
凧凪風 さんの釣行
12日(木)
01:30〜05:00
1投稿
ローンアングラー さんの釣行