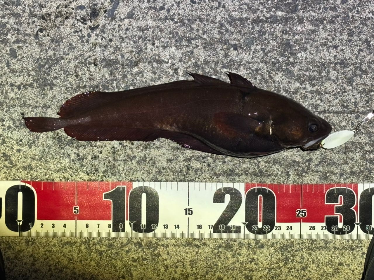
ドンコ

久々にエサ釣り🎣
ドンコ入れ食いでした🙌
もう釣った数すら数えられません
中々体高あるドンコ釣れて満足!!
ブラクリスイマー やっぱいいわぁ🐟

1,189閲覧
コメント1件

釣果データ

釣れた日
2025年04月20日 00:03
魚種
ハゼ > ドンコ
サイズ
重さ
匹数
99匹
都道府県
宮城県
エリア
女川港
マップの中心は釣果のポイントを示すものではありません。
ドンコが釣れる近場の釣果

ドンコ × 宮城県

ドンコ × 女川港

ルアー

タックル

ロッド
リール
ライン

状況

天気
 12.0℃ 東北東 2.5m/s 1012hPa 
水温
水深
タナ(レンジ)

この日の釣行

日時
2025年04月20日 00:03〜00:03
00:03 釣行開始
女川港で釣り開始
00:03 釣行終了

釣果はアプリから

釣りSNSアングラーズ (iOS/android)
ダウンロードページのQRコードを表示
アプリで
釣果・釣り場を
サクサク検索。
記録もできる。
今すぐアプリを
ダウンロード