マダイ
マダイ

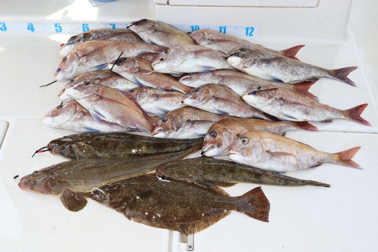
まだまだ乗っ込み真っ最中!
お腹パンパンの鯛が連発中。
少し違うところを探ってみるとヒラメ、マゴチ。
これはこれで嬉しい外道ですね。
マゴチも3本のうち2本はクロゴチで美味しそう。
活かしてお持ち帰り分はゴーマル4枚チャレンジ。
多分イケると思います。
トップ5枚、ロクマル弱まで。
今日も一日ありがとうございました。

266閲覧

釣果データ

釣れた日
2025年04月30日 13:20
魚種
タイ > マダイ
サイズ
重さ
匹数
25匹
都道府県
香川県
エリア
瀬戸内海
マップの中心は釣果のポイントを示すものではありません。
マダイが釣れる近場の釣果

マダイ × 香川県

マダイ × 瀬戸内海

この日の釣船・船宿

ルアー

タックル

ロッド
リール
ライン

状況

天気
 20.0℃ 南東 2.5m/s 1018hPa 
潮位
246.0cm
潮名
中潮
月齢
2.3
水温
水深
タナ(レンジ)

この日の釣行

日時
2025年04月30日 13:20〜13:20
13:20 釣行開始
瀬戸内海で釣り開始
13:20 釣行終了

釣果はアプリから

釣りSNSアングラーズ (iOS/android)
ダウンロードページのQRコードを表示
アプリで釣果投稿する
アプリで
釣果・釣り場を
サクサク検索。
記録もできる。
今すぐアプリを
ダウンロード