
食べる
釣果データ
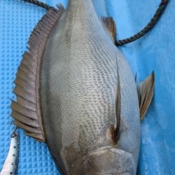
マップの中心は釣果のポイントを示すものではありません。- イサキが釣れる近場の釣果
ルアー
ima / エスパーダ110

タックル
- ロッド
- リール
- ライン
状況
- 天気
- 20.0℃ 西 1.7m/s 1011hPa
- 潮位
- 229.8cm
- 潮名
- 中潮
- 月齢
- 20.3
- 水温
- 水深
- タナ(レンジ)
この日の釣行
- 日時
- 2025年05月18日 06:46〜12:03
-
- 06:46 釣行開始
-
- 九十九島で釣り開始
-
-
SHIMANO
シマノ キャプチャー CAPTURE1711H-SB/2 キャプチャー1711H-SB/2 -
-
SHIMANO
シマノ キャプチャー CAPTURE1711H-SB/2 キャプチャー1711H-SB/2 -
-
SHIMANO
シマノ キャプチャー CAPTURE1711H-SB/2 キャプチャー1711H-SB/2 -
- 12:03 釣行終了
イサキの他の釣り人の釣果 すべて見る
この釣果の釣り人について

田ぶちさん
私はこんな人です。最近覚えた用語、インショアメインでやっております。
https://www.youtube.com/channel/UC8zN3vOXh2ijvURSHXaH_sw
YouTubeのチャンネルです。動画も投稿してます。釣果報告の自己満足動画です。
歴
2025年 海上保安部から功労賞をいただきました。
2022年 海上保安部部長表彰をいただきました。
同年 漁協準組合員になりました。
2021年 海難救助を行って県民表彰をいただきました。
同年 市民表彰をいただきました。
2019年 YouTubeに釣りチャンネル開設しました。
同年 日本牡蠣の早剥き選手権に出場しました。緊張のあまりに牡蠣を握り潰して失格。
同年 リラックマ検定に挑戦し合格。生まれて初めてマークシートのテストを受ける。
2016年 生まれて初めてメーターオーバーのシーバスを釣りました。記録は残ってません。
2015年 SASUKEに出場。ファーストステージのジャンプハングでリタイア。あの池は、しょっぱかった。
以上、何卒よろしくお願いいたします。

釣果はアプリから
釣りSNSアングラーズ (iOS/android)