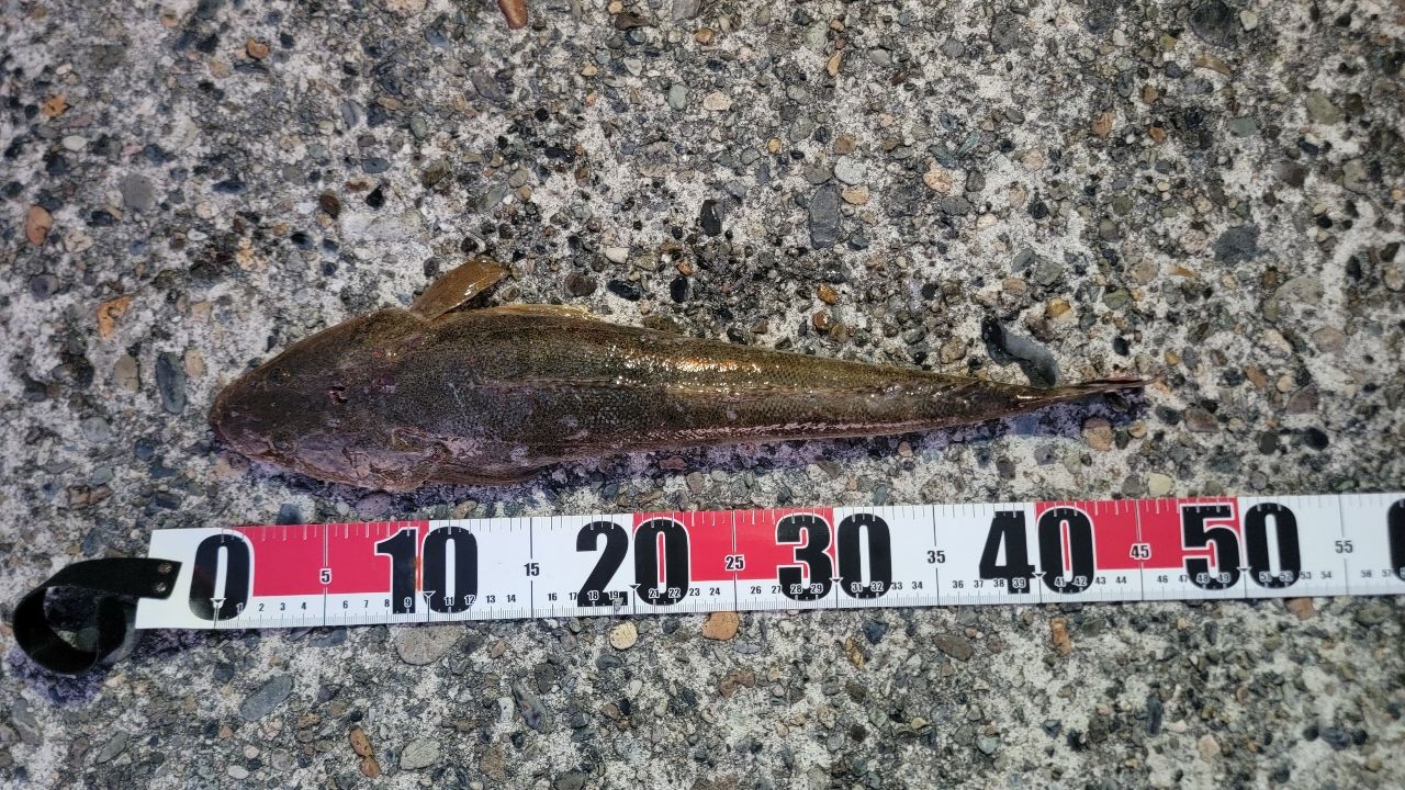
マゴチ
マゴチ
マゴチ

豪雨明けの晴天
さすが大潮
潮がきいてますな

3時間釣行
夕まづめ
アタリがあるが乗らない、、、
そのあとにエソ3とマゴチキャッチ
ひたすらボトムを3回巻き&ストップ

表層高速まき&ストップでサバ1のみでした🙇

1,756閲覧

釣果データ

釣れた日
2025年06月26日 19:28
魚種
コチ > マゴチ
サイズ
45.0cm
重さ
匹数
1匹
都道府県
新潟県
エリア
寺泊サーフ
マップの中心は釣果のポイントを示すものではありません。
マゴチが釣れる近場の釣果

マゴチ × 新潟県

マゴチ × 寺泊サーフ

タックル

ロッド
リール
ライン

状況

天気
 22.0℃ 西 0.6m/s 1009hPa 
潮位
16.1cm
潮名
大潮
月齢
0.7
水温
水深
タナ(レンジ)

この日の釣行

日時
2025年06月26日 19:28〜19:28
19:28 釣行開始
寺泊サーフで釣り開始
19:28 釣行終了

釣果はアプリから

釣りSNSアングラーズ (iOS/android)
ダウンロードページのQRコードを表示
アプリで
釣果・釣り場を
サクサク検索。
記録もできる。
今すぐアプリを
ダウンロード