みんなの釣果
カテゴリから探す
エリアから探す
地方・都道府県から探す
魚種から探す
アングラーズ釣船予約
タックルボックス
タックルボックス
お気に入り
トップ
北海道
室蘭港
ドンコ
げそまる さんの 2025年07月22日のドンコの釣り・釣果情報(北海道 - 室蘭港)
げそまる さんの 2025年07月22日のドンコの釣り・釣果情報(北海道 - 室蘭港)
ドンコちゃんガンコちゃん🦖
46件
1,497閲覧
みんなのコメント
いいね!
コメントする
<
前の釣果
(2025.07.16)
次の釣果
>
(2025.08.05)
>
釣果データ
釣れた日
2025年07月22日 03:41
魚種
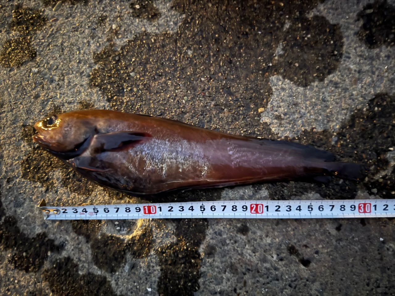
ハゼ
>
ドンコ
サイズ
30.0cm
重さ
匹数
1匹
都道府県
北海道
エリア
室蘭港
マップの中心は釣果のポイントを示すものではありません。
ドンコが釣れる近場の釣果
ドンコ
×
北海道
ドンコ
×
室蘭港
ルアー
タックル
ロッド
リール
ライン
状況
天気
20.0℃ 西北西 2.8m/s 1012hPa
潮位
96.3cm
潮名
中潮
月齢
26.7
水温
水深
タナ(レンジ)
この日の釣行
日時
2025年07月22日 03:41〜03:41
03:41 釣行開始
室蘭港
で釣り開始
03:41
(この釣果を表示中)
ドンコ
30.0
cm
03:41 釣行終了
釣行を詳しく見る
げそまるさんの最近の釣果
すべて見る
げそまる
2026年01月06日
スケトウダラ
45.0cm
室蘭港
94
3134
2
げそまる
2025年12月30日
シマソイ
30.0cm
室蘭港
38
1114
げそまる
2025年12月13日
シマソイ
40.0cm
室蘭港
60
2137
げそまる
2025年11月25日
カジカ
40.0cm
室蘭港
38
1276
すべて見る
室蘭港の他の釣り人の釣果
すべて見る
🦑イカ野郎🦑
2026年01月06日
スケトウダラ
室蘭港
87
2899
2
和金
2026年01月04日
サクラマス
室蘭港
230
9761
20
MKボンバー
2026年01月03日
未選択
52.0cm
室蘭港
83
3642
週末だけ〜
2026年01月03日
カジカ
27.0cm
室蘭港
39
1486
ドンコの他の釣り人の釣果
すべて見る
Mazical☆筋肉(青物中毒者)
2026年01月10日
2釣果
ドンコ
大槌湾
9
377
anglerChiyMasa
2026年01月08日
2釣果
ドンコ
22.0cm
重茂漁港
14
317
ߖߜ߭ߍ ߡߌߣߍ
2026年01月08日
ドンコ
48.0cm
中之作港
27
1572
Guest29653891
2026年01月07日
ドンコ
御前湾沖
18
177
室蘭港の近場の釣り場
追直漁港
地球岬
大黒島
鷲別漁港
黄金漁港
室蘭沖
伊達漁港
登別漁港
さいとう釣堀園
山本養鱒場
倶多楽湖
虻田港
昔の室蘭港の釣果
初心者3284
2019年05月10日
2釣果
カレイ
28.0cm
室蘭港
22
214
1
とまとん
2021年07月17日
未選択
室蘭港
63
1002
ましゅ🐹
2022年03月27日
カレイ
38.0cm
室蘭港
48
1189
3
船長たけし
2023年05月20日
6釣果
アブラコ
40.0cm
室蘭港
45
625
昔のドンコの釣果
のぶーん
2020年07月10日
3釣果
ドンコ
釜石湾
26
422
ひちぎす
2021年02月06日
ドンコ
磯崎港
18
1159
𓆟やさいくだもの𓆟
2021年12月16日
ドンコ
25.0cm
松島湾
84
444
あおちゃん🎣
2022年02月12日
3釣果
ドンコ
14.5cm
大津漁港
47
1577
この釣果の釣り人について
げそまる
最近釣りはじめました!
公開釣果
11
釣果
フォロー
90
人
フォロワー
90
人
年間釣行数
1
釣行
釣り歴(年)
1
年
フォロー釣船
0
件
フォローする
釣果はアプリから
釣りSNSアングラーズ (iOS/android)
ダウンロードページのQRコードを表示
アプリで
釣果・釣り場を
サクサク検索。
記録もできる。
今すぐアプリを
ダウンロード