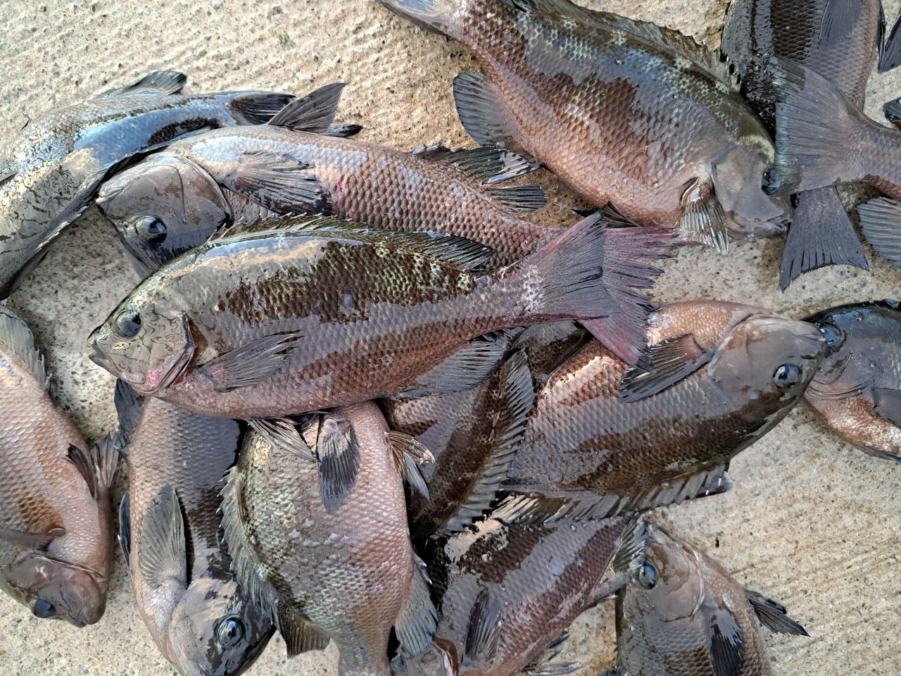
終わってみれはグレ26まで大漁(^∇^)!!
釣果データ
マップの中心は釣果のポイントを示すものではありません。- グレが釣れる近場の釣果
タックル
- ロッド
- リール
- ライン
状況
- 天気
- 29.0℃ 北東 3.1m/s 1012hPa
- 潮位
- 69.0cm
- 潮名
- 大潮
- 月齢
- 16.3
- 水温
- 水深
- タナ(レンジ)
この日の釣行
- 日時
- 2025年10月08日 14:36〜14:36
-
- 14:36 釣行開始
-
- 南芦屋浜ベランダで釣り開始
-
- 14:36 釣行終了
とらこ(とらこチャンネル)さんの最近の釣果 すべて見る
南芦屋浜ベランダの他の釣り人の釣果 すべて見る
グレの他の釣り人の釣果 すべて見る
昔の南芦屋浜ベランダの釣果

釣果はアプリから
釣りSNSアングラーズ (iOS/android)