カワハギ
カワハギ
カワハギ

いつも良いね👍 有難う御座います。
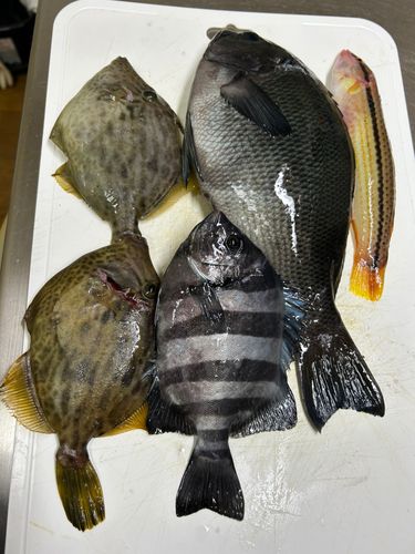
11月12日(水曜日)【カワハギ便】(小潮)
水温20.9℃

お客様3名と中乗り 嫁 釣りガールとで出船しましたぁ〜🫡

朝のひと潮は、カスリもしませんでしたぁ〜💦

カワハギは釣れずに赤や青のベラばかり〜😓

潮が変わってから徐々に釣れ出して、昨日入ったポイントでも釣れました〜🫡

少人数での出船でしたが、昨日より数が上がり型も良かったです〜😊

これから、もっと釣れるように期待です。🫡

釣果は、船中〜19枚・ゲストにベラ、ウマズラ、ショウサイフグ〜💁🏻‍♂️
竿頭〜林氏カワハギ5枚・次5枚でしたぁ〜🫡

NICEゥ〜で👍お見事❗️極まりない感じで‼️
素晴らしかぁ〜⤴️🤩

嫁 釣りガールも8枚釣りましたヨォ〜😆

明石の沖・播磨灘で釣りを楽しむ釣り船〜💁🏻‍♂️
播磨の遊漁船〜剛丸〜🙆‍♂️

釣れる釣り船を目指して、日々精進して行きますので、どうぞ宜しくお願いします。🙇‍♂️

本日のご乗船、誠に有難う御座いました。🙇‍♂️🙇‍♀️

@zenkokuturiba @fishing_garage_legend @squid_mania_jpn
#釣り船 #遊漁船 #釣り #fishing #釣りガール #アオリイカ #ティプラン #カワハギ #明石タコ #タコ釣り #タコテンヤ #呑ませ釣り #落とし込み #ヒラメ #ジギング #SLJ #鯛 #タイラバ #タイラバサビキ #キャスティングタイラバ #キャスラバ #海遊 #カワハギ #ショウサイフグ #河豚 #ふぐ #SHIMANO #釣り好きな人と繋がりたい #剛丸

184閲覧

釣果データ

釣れた日
2025年11月12日 19:04
魚種
カワハギ
サイズ
重さ
匹数
1匹
都道府県
兵庫県
エリア
播磨灘
マップの中心は釣果のポイントを示すものではありません。
カワハギが釣れる近場の釣果

カワハギ × 兵庫県

カワハギ × 播磨灘

この日の釣船・船宿

ルアー

タックル

ロッド
リール
ライン

状況

天気
 15.0℃ 南 2.2m/s 1022hPa 
潮位
123.0cm
潮名
小潮
月齢
21.6
水温
水深
タナ(レンジ)

この日の釣行

日時
2025年11月12日 19:04〜19:04
19:04 釣行開始
播磨灘で釣り開始
19:04 釣行終了

釣果はアプリから

釣りSNSアングラーズ (iOS/android)
ダウンロードページのQRコードを表示
アプリで釣果投稿する
アプリで
釣果・釣り場を
サクサク検索。
記録もできる。
今すぐアプリを
ダウンロード