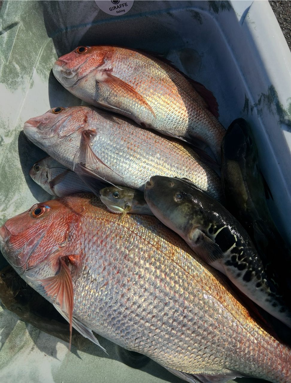
一工夫で真鯛のスイッチが入り、渋かった状況から一気に爆釣へ🔥 真鯛・大鯛・トラフグまで反応し、驚きの連続でした。やっぱり釣りは奥深くて面白い🎣 次の釣行も楽しみです✨
詳細は、
YouTube▶ https://youtu.be/W_tILyI35sc
釣果データ
マップの中心は釣果のポイントを示すものではありません。- タイが釣れる近場の釣果
タックル
- ロッド
- リール
- ライン
状況
- 天気
- 14.0℃ 北北東 9.2m/s 1019hPa
- 潮位
- 116.4cm
- 潮名
- 小潮
- 月齢
- 5.8
- 水温
- 水深
- タナ(レンジ)
この日の釣行
- 日時
- 2025年11月26日 20:01〜20:01
-
- 20:01 釣行開始
-
- 外房で釣り開始
-
- 20:01 釣行終了
釣り人ジラフさんの最近の釣果 すべて見る
外房の他の釣り人の釣果 すべて見る
タイの他の釣り人の釣果 すべて見る
この釣果の釣り人について
釣り人ジラフ
釣り人ジラフ|Kayak & Lure Angler
波間を駆けるカヤック釣り師。
東京湾奥・南房総を中心に、カヤックフィッシング×ルアー釣りの魅力を発信中!
■ YouTube登録者2,300人突破!
■ 実釣×検証スタイルで釣果も映像も楽しめる!
■ LITTLE JACK フィールドモニター
■ ONE’SON プロトモニター
■ jctグローバル釣り事業部フィールドモニター
■ シーバス・青物・フラット・真鯛・根魚など幅広く狙います。
釣りに役立つ情報・実践テク・釣果レポートをブログやSNSで発信しています。
釣り好きの皆さん、ぜひ一緒に楽しみましょう!
【SNSリンク】
■ YouTube:
https://onl.la/pGe5vpN
■ Instagram:
https://www.instagram.com/p/CnnQodVBYwl/?igshid=MDJmNzVkMjY=
■ Twitter:
@giraffefishing
釣果はアプリから
釣りSNSアングラーズ (iOS/android)
