マアジ
マアジ
マアジ

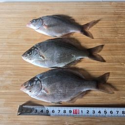
白サビキで、31cmの尺アジが釣れました✨
過去最高記録です🎉✨😆✨🎊
もう一匹は、姪っ子の彼氏が釣りました👍

その時の動画をアップしていますので、
良かったら、ご覧になって下さい🙇
https://youtu.be/JFajt4h1op4?si=VjEEZaxhrQvZk9eJ

1,834閲覧

釣果データ

釣れた日
2026年01月03日 17:20
魚種
アジ > マアジ
サイズ
31.0cm
重さ
匹数
2匹
都道府県
茨城県
エリア
大津漁港
マップの中心は釣果のポイントを示すものではありません。
マアジが釣れる近場の釣果

マアジ × 茨城県

マアジ × 大津漁港

ルアー

タックル

ロッド
リール
ライン

状況

天気
 4.0℃ 西北西 4.2m/s 1012hPa 
潮位
112.8cm
潮名
大潮
月齢
14.1
水温
水深
6.8cm
タナ(レンジ)

この釣果の釣り人について

釣りって最高✨️

小、中学校の時に、河口では、ハゼ、セイゴ、カレイ、海では、キスを🎣っていました🎵
そこから、しばらく🎣から遠ざかっていましたが、コロナの影響もあり、🎣なら外で一定の距離も保っているので、安心と言うことで、2021年、行った手長エビ🎣からはまって、2022年から本格的始めています✨
2025年は、船釣りにも挑戦して、マダイを釣ることが出来ました👍
また、太刀魚にも挑戦して、5匹釣れました✨
2026年は、まだ釣ったことのない魚(カマス)やまた船釣りも挑戦して、最大の記録を伸ばしていきたい🙋
更なる大物を求め、今年もランガンです🏃💨

実績(最大記録)
2026.01.03 マアジ31cm
2026.01.03 ニベ26cm
2025.11.22 ハナダイ27cm
2025.11.22 クラカケトラギス16cm
2025.10.16 タチウオ86cm
2025.10.16 アカムツ18cm
2025.09.13 シマアジ25cm
2025.07.19 マダイ31cm
2025.07.19 カサゴ27cm
2025.07.19 ハナダイ23cm
2025.04.28 メバル21cm
2024.09.27 イトヒキアジ22cm
2024.08.24 アオアジ14cm
2024.08.24 シマアジ21cm
2024.05.15 ヒラメ70cm
2024.04.20 ホシザメ85cm
2023.03.16 ボラ48cm
2023.11.25 タカノハダイ24cm
2023.10.08 イトヒキアジ18cm
2023.10.08 カワハギ14cm
2023.09.22 ショゴ41cm
2023.06.18 マアジ27cm
2023.06.18 マサバ27cm
2023.05.19 クロソイ18cm
2023.04.08 クロダイ40cm
2023.04.01 サヨリ24cm
2022.10.08 マアナゴ56cm
2022.07.08 チャネルキャットフィッシュ63cm


釣果はアプリから

釣りSNSアングラーズ (iOS/android)
ダウンロードページのQRコードを表示
アプリで
釣果・釣り場を
サクサク検索。
記録もできる。
今すぐアプリを
ダウンロード