【釣行日誌】
2026.1.10
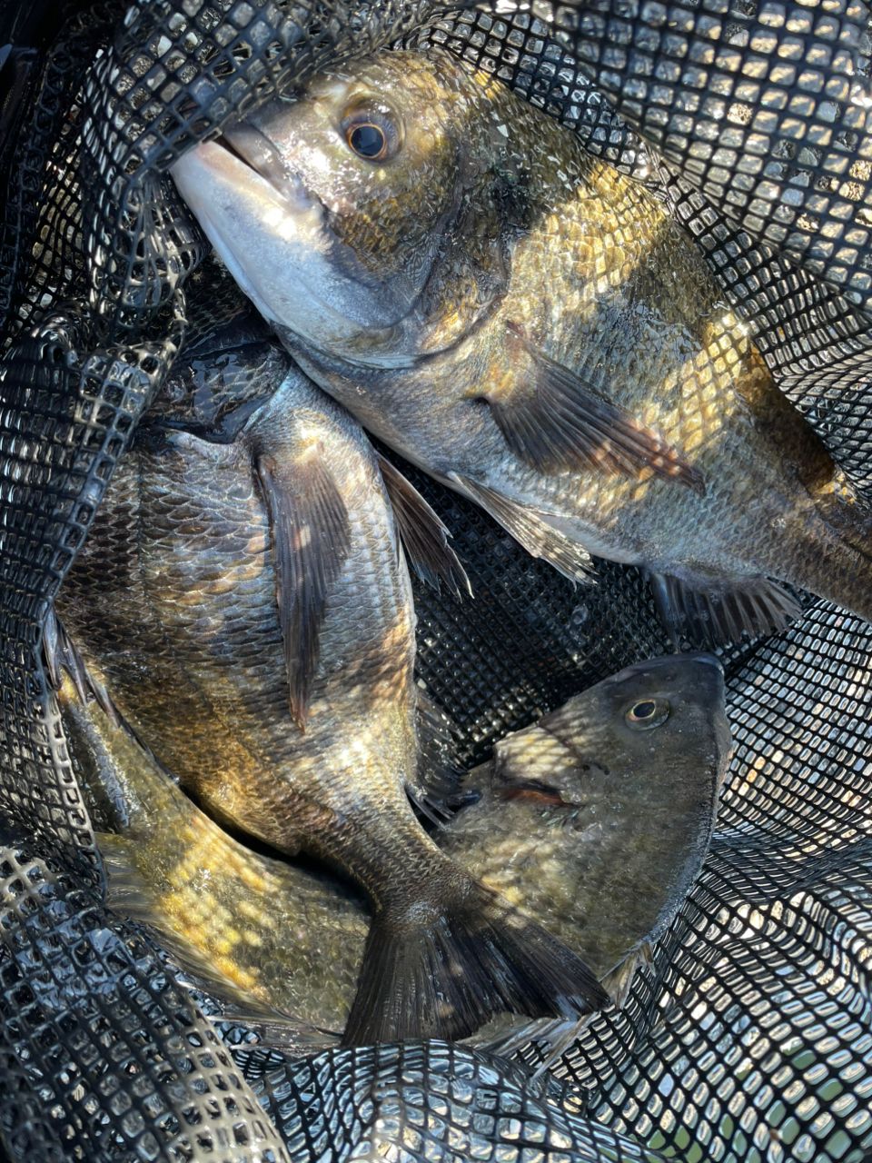
今日も今日とてチヌふかせ!
初めて自分のLBリールを買ったのでさっそく鱗付け!
巻き心地良くて扱いやすい
頂いた竿のおかげで楽に寄せれて全然苦戦しない✌️
風も全然無かったので初めてめちゃめちゃ釣りやすい日に当たりました✨
チヌふかせ楽しすぎる😆
途中であったファミリーの子に1匹釣らせてあげたら帰り喜んで持って帰ってました😊
楽しんでくれて良かった✨
#釣り#釣り好き#釣りバカ
#釣り好きと繋がりたい #釣り好きな人と繋がりたい #釣りスタグラム #釣り初心者#アングラー#釣り男子 #釣り道具 #魚料理#魚#釣れた#魚釣り #釣果#釣行#釣果情報 #関西釣り#魚スタグラム #釣果グラム
釣果データ
マップの中心は釣果のポイントを示すものではありません。タックル
- ロッド
- リール
- ライン
状況
- 天気
- 10.0℃ 南南西 3.3m/s 1016hPa
- 潮位
- 107.1cm
- 潮名
- 小潮
- 月齢
- 21.1
- 水温
- 水深
- タナ(レンジ)
この日の釣行
- 日時
- 2026年01月10日 10:00〜10:00
-
- 10:00 釣行開始
-
- 大阪湾で釣り開始
-
- 10:00 釣行終了
釣りバカペンギン(ºωº э)Зさんの最近の釣果 すべて見る
大阪湾の他の釣り人の釣果 すべて見る
チヌの他の釣り人の釣果 すべて見る
この釣果の釣り人について
釣りバカペンギン(ºωº э)З
釣ったら食べる!
我が家の魚は自給自足🐟
大阪から車で日帰りできる範囲でいろんな釣り場に行っています🎣
大阪湾・淡路島・和歌山
夫婦一緒に釣行することも🙋🏻♂️🙋🏻♀️
釣りはメンタルデトックス!
浮き釣りでウキを見てる時が1番の癒し☺️
釣り場での一期一会もすごく楽しみ✨
〔Instagram〕おにぎりペンギン
釣った魚ご飯&日頃のお弁当🍙
https://www.instagram.com/onigiri_pengin_?igsh=MWMyd2JkOWJ2M211NA%3D%3D&utm_source=qr
〔Instagram〕釣りばかペンギン
釣果報告&釣り関係全部🎣
https://www.instagram.com/tsuribaka_pengin?igsh=MWprNHE4OHZhdGl2eg%3D%3D&utm_source=qr
釣果報告やInstagramにコメント頂けると、
とても嬉しいです😳✨
2025年もよろしくお願い致します🐟
釣果はアプリから
釣りSNSアングラーズ (iOS/android)