クロダイ
クロダイ
クロダイ

皆さん、お久しぶりです🙇💦💦
愛子パパです🤗🤗

はい、遅ればせながら、あけましておめでとうございます🙇🙇
前回投稿から去年末まで、自身の母親の事で、身の回りがバタバタしておりまして、その合間をみながら釣りには行ってましたが、なかなか投稿にまで至っておりませんでした。。
そんな年明け、1月10日にフカセ釣りに行ってきました。
この日は、ほぼ無風の晴天!
更には嫁さんと愛子と二人共がついて来てくれて、ファミリーフィッシングには最適は日和になりました。。
早々にアタリがあるものの、フグの猛攻に合い、『まぁ魚が入れ替われば来るだろう!』ぐらいに構えていましたが、お昼まではボウズ。。
両隣の方々は、1匹ずつ釣って帰って行かれました。
『えっ?、そんなん、俺1匹釣るまで帰れんじゃん! しかも今日は家族も居るし。。』
、、午後からの流れが変わるのを待ちながら、アタリが出始めます。
しかし💦、本当、妙なアタリばかり。
フグのアタリの様な、他の餌取りが触っただけの様な、ウキの沈み方が凄く「まどろっこしい。。」
色々なアタリに、タイミングを変えながら合わせていくと、『おっ‼️クロダイ❗️』
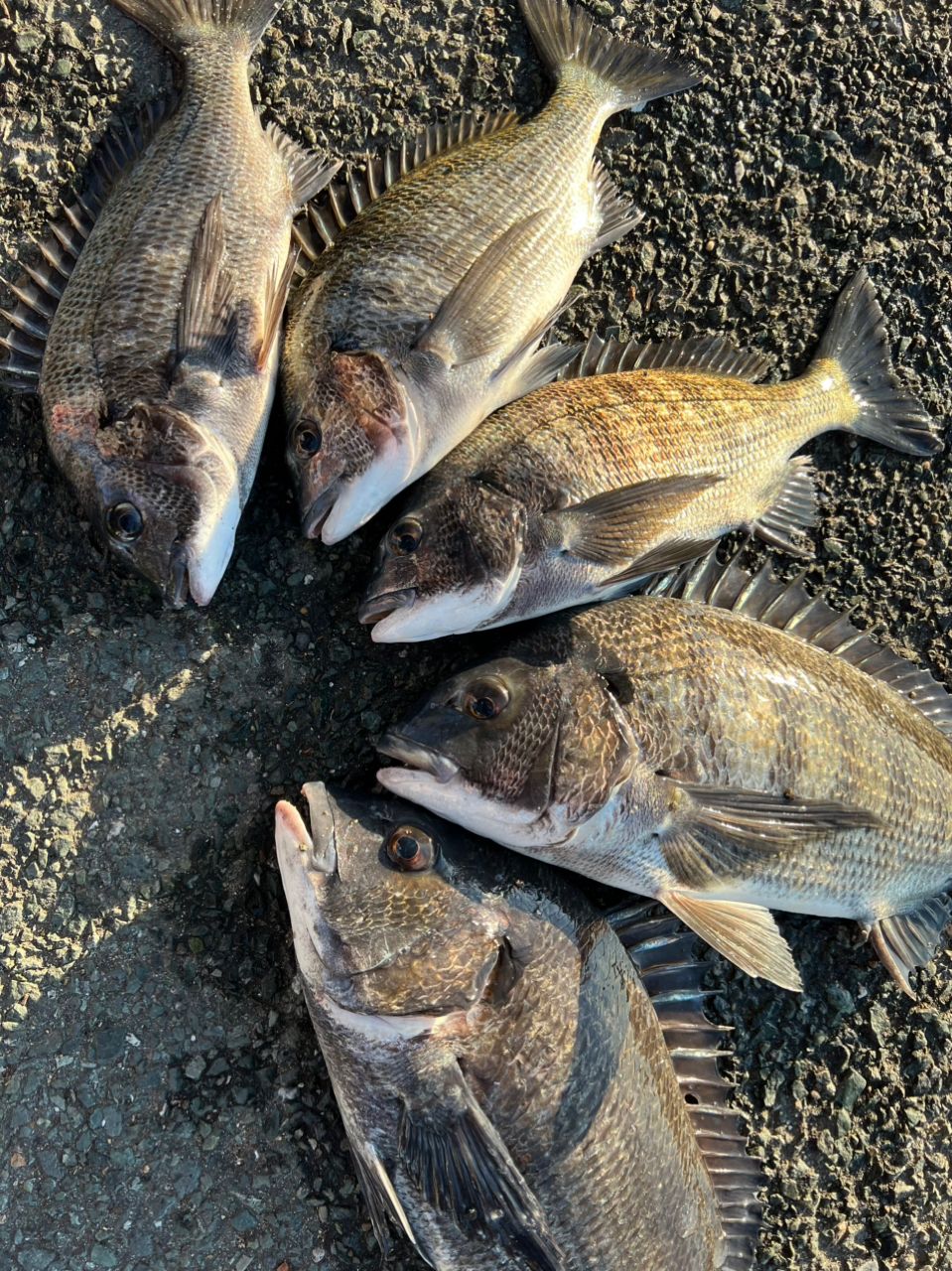
上がって来たのは34センチ❣️
あのアタリ、あのタイミングでいいんだな!💪🏻💪🏻
しかしそのアタリ、見極めがムズイ😮‍💨💦
そんな中、ポロポロ32と33センチを拾う。これは地合いかな?それでも3匹釣ってから少しアタリが遠のく。
それでも必ず❗️💦と、やり続けると抑えるアタリ!ん⁉️、動かん⁉️😱💦
ドキドキのやり取りをこなし、上がって来たのは44センチ‼️🎉🎉
後ろでは嫁さんと愛子が、ヤンヤ❗️ヤンヤ❗️🎶
なんとか面目は立ちました😅💦
ここでコマセ切れ。。
そんな中、『まだ水の中はコマセが効いてるだろぅ?』と思い、エサだけを付けて
何投かしました。そしてこれで最後‼️、、の一投になんと42センチが来ました!
本日は家族への面目も立ち、なんとか胸を撫で下ろした愛子パパでした。💦💦

はい、本日も見て頂き、ありがとうございました🙇🙇
また次回もお楽しみに🤗🤗

8,005閲覧
コメント4件

釣果データ

釣れた日
2026年01月10日 15:42
魚種
タイ > クロダイ
サイズ
44.0cm
重さ
匹数
5匹
都道府県
静岡県
エリア
表浜名湖
マップの中心は釣果のポイントを示すものではありません。
クロダイが釣れる近場の釣果

クロダイ × 静岡県

クロダイ × 表浜名湖

ルアー

タックル

ロッド
リール
ライン

状況

天気
 11.0℃ 南南西 1.1m/s 1015hPa 
潮位
51.1cm
潮名
小潮
月齢
21.1
水温
水深
タナ(レンジ)

この日の釣行

日時
2026年01月10日 15:42〜15:42
15:42 釣行開始
表浜名湖で釣り開始
15:42 釣行終了

釣果はアプリから

釣りSNSアングラーズ (iOS/android)
ダウンロードページのQRコードを表示
アプリで
釣果・釣り場を
サクサク検索。
記録もできる。
今すぐアプリを
ダウンロード