釣行の概要
- 釣り人
- ぱおぱお先輩
- 日時
- 2025年03月24日(月) 21:00〜23:59
- 釣果投稿
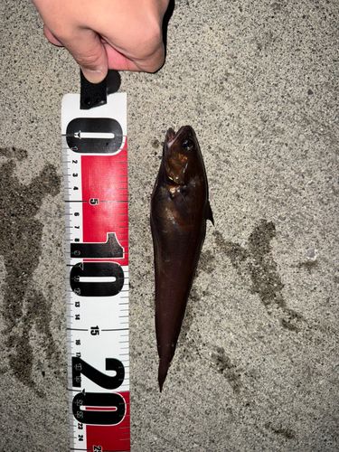
- 2 釣果
- 釣った魚
- 天気
- 8.0℃ 西南西 2.2m/s 1006hPa
- 都道府県
- 岩手県
- エリア
- 大船渡湾
- 潮名-月齢
- 長潮 24.1
マップの中心は釣果のポイントを示すものではありません。
釣行の内容
-
- 21:00 釣行開始
-
- 大船渡湾 で釣り開始

-
- 23:59 釣行終了
※公開されている釣果のみ表示しております。非公開釣果、メモは表示されません。
※プロフィールの年間釣行数は非公開釣果を含むため、表示日数が異なる場合があります。
※プロフィールの年間釣行数は非公開釣果を含むため、表示日数が異なる場合があります。
ぱおぱお先輩の2025年03月の釣行
大船渡湾の他の釣り人の釣行
2025年03月
31日(月)
23:10〜23:10
1投稿
茄子キー さんの釣行
31日(月)
19:16〜19:16
1投稿
古たぬき さんの釣行
31日(月)
11:25〜11:25
1投稿
ボンクラアングラー@弁天丸広報部
さんの釣行
さんの釣行
29日(土)
21:43〜21:43
1投稿
TM-R さんの釣行
メバルの他の釣り人の釣行
2025年03月
31日(月)
23:21〜23:21
1投稿
フォッシュイーターイーター さんの釣行
31日(月)
富山県魚津市近辺
23:00〜23:00
1投稿
おじぱら a.k.a ジグ大好きオジサン さんの釣行
31日(月)
愛媛県松山市近辺
23:00〜23:00
1投稿
ORCA🎣 さんの釣行
31日(月)
21:57〜21:57
1投稿
riu👾荒食いアングラー さんの釣行