釣行の概要
- 釣り人
- mudskippers

- 日時
- 2025年03月26日(水) 17:44〜19:30
- 釣果投稿
- 1 釣果
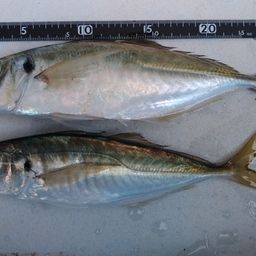
- 釣った魚
- 天気
- 21.0℃ 北北東 4.2m/s 1009hPa
- 都道府県
- 和歌山県
- エリア
- 日高川河口
- 潮名-月齢
- 中潮 26.1
マップの中心は釣果のポイントを示すものではありません。
釣行の内容
-
- 17:44 釣行開始
-
- 日高川河口 で釣り開始

-
- 19:30 釣行終了
※公開されている釣果のみ表示しております。非公開釣果、メモは表示されません。
※プロフィールの年間釣行数は非公開釣果を含むため、表示日数が異なる場合があります。
※プロフィールの年間釣行数は非公開釣果を含むため、表示日数が異なる場合があります。
日高川河口の他の釣り人の釣行
2025年03月
31日(月)
06:30〜06:30
1投稿
masa11 さんの釣行
30日(日)
09:35〜09:36
1投稿
オムライス^_^ さんの釣行
30日(日)
06:03〜06:03
1投稿
黒糖コッペパン さんの釣行
29日(土)
05:30〜05:30
1投稿
note さんの釣行
アカカマスの他の釣り人の釣行
2025年03月
31日(月)
10:08〜10:08
1投稿
釣り太郎🐟🐙🦑 さんの釣行
31日(月)
09:50〜09:50
1投稿
アングラー71121360 さんの釣行
30日(日)
01:32〜02:30
1投稿
烏龍茶30ml
さんの釣行
さんの釣行
29日(土)
17:43〜17:43
1投稿
ブリが釣りたい!!! さんの釣行