釣行の概要
- 釣り人
- 初心者アングラー 青森
- 日時
- 2025年05月30日(金) 14:41〜18:22
- 釣果投稿
- 2 釣果
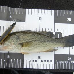
- 釣った魚
- 天気
- 18.0℃ 北 1.7m/s 1014hPa
- 都道府県
- 青森県
- エリア
- つがる市野池群
マップの中心は釣果のポイントを示すものではありません。
釣行の内容
-
- 14:41 釣行開始
-
- つがる市野池群 で釣り開始
-
- 青森県青森市近辺 で釣り開始
-
- 18:22 釣行終了
※公開されている釣果のみ表示しております。非公開釣果、メモは表示されません。
※プロフィールの年間釣行数は非公開釣果を含むため、表示日数が異なる場合があります。
※プロフィールの年間釣行数は非公開釣果を含むため、表示日数が異なる場合があります。
初心者アングラー 青森の2025年05月の釣行
つがる市野池群の他の釣り人の釣行
2025年05月
29日(木)
21:19〜21:19
1投稿
赤血球
さんの釣行
さんの釣行
29日(木)
15:08〜15:08
1投稿
ポン吉 EJ20 さんの釣行
28日(水)
12:07〜12:07
1投稿
JAT さんの釣行
28日(水)
06:26〜06:26
1投稿
たくや07 さんの釣行
ブラックバスの他の釣り人の釣行
2025年05月
31日(土)
22:33〜22:33
2投稿
ととまる。。。 さんの釣行
31日(土)
22:33〜22:33
1投稿
ととまる。。。 さんの釣行
31日(土)
大阪府大阪市東淀川区近辺
22:13〜22:13
1投稿
OKT
さんの釣行
さんの釣行
31日(土)
富山県富山市近辺
22:04〜22:04
1投稿
HAMAKO さんの釣行