釣行の概要
- 釣り人
- 釣り侍★

- 日時
- 2025年06月08日(日) 05:49〜06:25
- 釣果投稿
- 3 釣果
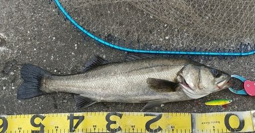
- 釣った魚
- 天気
- 19.0℃ 南西 1.7m/s 1010hPa
- 都道府県
- 兵庫県
- エリア
- 大阪湾
- 潮名-月齢
- 中潮 12.0
マップの中心は釣果のポイントを示すものではありません。
釣行の内容
-
- 05:49 釣行開始
-
- 大阪湾 で釣り開始


-
- 06:25 釣行終了
※公開されている釣果のみ表示しております。非公開釣果、メモは表示されません。
※プロフィールの年間釣行数は非公開釣果を含むため、表示日数が異なる場合があります。
※プロフィールの年間釣行数は非公開釣果を含むため、表示日数が異なる場合があります。
釣り侍★
の2025年06月の釣行
2025年06月
29日(日)
04:50〜05:12
3投稿
28日(土)
05:40〜07:01
2投稿
27日(金)
18:58〜18:58
1投稿
25日(水)
17:47〜17:47
1投稿
22日(日)
07:19〜17:09
3投稿
21日(土)
07:54〜16:33
2投稿
20日(金)
18:03〜18:03
1投稿
17日(火)
18:55〜18:55
1投稿
15日(日)
06:08〜06:08
1投稿
14日(土)
05:45〜07:19
3投稿
13日(金)
18:50〜18:50
1投稿
10日(火)
17:25〜17:25
1投稿
08日(日)
05:49〜06:25
3投稿
07日(土)
06:29〜16:01
5投稿
06日(金)
18:38〜18:38
1投稿
05日(木)
18:01〜18:01
1投稿
02日(月)
17:02〜17:20
2投稿
01日(日)
05:19〜06:20
2投稿
29日(日)
04:50〜05:12
3投稿
28日(土)
05:40〜07:01
2投稿
27日(金)
18:58〜18:58
1投稿
25日(水)
17:47〜17:47
1投稿
22日(日)
07:19〜17:09
3投稿
21日(土)
07:54〜16:33
2投稿
20日(金)
18:03〜18:03
1投稿
17日(火)
18:55〜18:55
1投稿
15日(日)
06:08〜06:08
1投稿
14日(土)
05:45〜07:19
3投稿
13日(金)
18:50〜18:50
1投稿
10日(火)
17:25〜17:25
1投稿
08日(日)
05:49〜06:25
3投稿
07日(土)
06:29〜16:01
5投稿
06日(金)
18:38〜18:38
1投稿
05日(木)
18:01〜18:01
1投稿
02日(月)
17:02〜17:20
2投稿
01日(日)
05:19〜06:20
2投稿
大阪湾の他の釣り人の釣行
2025年06月
30日(月)
22:44〜22:44
1投稿
タコ釣り中毒 さんの釣行
30日(月)
21:15〜21:15
1投稿
ISK.0724 さんの釣行
30日(月)
21:07〜21:23
2投稿
けんこうたいちん さんの釣行
30日(月)
20:00〜20:00
1投稿
Yoshiyuki 0824
さんの釣行
さんの釣行
チヌの他の釣り人の釣行
2025年06月
30日(月)
23:45〜23:45
1投稿
顎ドリル さんの釣行
30日(月)
23:29〜23:29
1投稿
pk さんの釣行
30日(月)
21:53〜21:53
1投稿
逢音盛熱砂 さんの釣行
30日(月)
21:20〜23:25
2投稿
エミちゃん さんの釣行