昨日の淡路島バスフィッシングから一転、ホーム湾奥ちょっと遅めにエントリー!☁
常連ヘチ釣り師先行者が居たがこっちはルアーなので、後追いで岸際沿いを探って行くと....
ソッコーで引ったくる様に重量感のあるバイトでストライク❗️💥🎣🌊
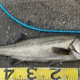
尺のあるトルクフルなファイトを味わい無事ランディング成功♪🐟️
先日に引き続き今日もゴーマルアップのランカー年無しチヌさんでした♪♪
良く引いてくれました!
ヒットアイテムはライブXマーゲイSW✨この時期からチヌに実績高いロングビルミノーです!✨
手早くワンモアキャッチで続けましたよ。🏃🌊
釣果データ
マップの中心は釣果のポイントを示すものではありません。ルアー
        Megabass / ライブXマーゲイSW
      
    
       
  タックル
- ロッド
- 
          - 
              
                SHIMANO
 
- 17エクスプライド 1610M-2
- 22,000円~
- 1083 釣果
 
- 
              
                SHIMANO
- リール
- 
          - 
              
                DAIWA
 
- 20タトゥーラ SV TW 103SH
- 25,605円~
- 1923 釣果
 
- 
              
                DAIWA
- ライン
状況
- 天気
- 19.0℃ 南西 1.7m/s 1010hPa
- 潮位
- 124.0cm
- 潮名
- 中潮
- 月齢
- 12.0
- 水温
- 水深
- タナ(レンジ)
この日の釣行
- 日時
- 2025年06月08日 05:49〜06:25
- 
            
- 05:49 釣行開始
- 
                
- 大阪湾で釣り開始
- 
            
- 06:25 釣行終了
釣り侍★さんの最近の釣果 すべて見る
大阪湾の他の釣り人の釣果 すべて見る
チヌの他の釣り人の釣果 すべて見る
 
        釣果はアプリから
釣りSNSアングラーズ (iOS/android)
        
 
                 
                 
 
                
 
     
     
    
 
                       
                       
                       
     
         
          
         
     
     
     
     
         
          
         
     
         
     
     
         
          
         
     
         
     
         
     
         
     
         
     
         
     
         
     
         
     
         
     
         
     
         
     
         
     
         
          
         
         
 アプリで釣果投稿する
      アプリで釣果投稿する
    