釣行の概要
- 釣り人
- ウエマイキー
- 日時
- 2025年10月19日(日) 17:30〜17:30
- 釣果投稿
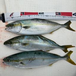
- 1 釣果
- 釣った魚
- 天気
- 21.0℃ 北北東 3.6m/s 1019hPa
- 都道府県
- 兵庫県
- エリア
- 神戸空港親水護岸
- 潮名-月齢
- 中潮 27.3
マップの中心は釣果のポイントを示すものではありません。
釣行の内容
-
- 17:30 釣行開始
-
- 神戸空港親水護岸 で釣り開始
-
- 17:30 釣行終了
※公開されている釣果のみ表示しております。非公開釣果、メモは表示されません。
※プロフィールの年間釣行数は非公開釣果を含むため、表示日数が異なる場合があります。
※プロフィールの年間釣行数は非公開釣果を含むため、表示日数が異なる場合があります。
神戸空港親水護岸の他の釣り人の釣行
2025年10月
19日(日)
15:32〜15:32
1投稿

“大和” さんの釣行
19日(日)
14:19〜14:19
1投稿

y_y_y さんの釣行
19日(日)
09:17〜11:52
2投稿


ときとき。 さんの釣行
19日(日)
08:21〜08:21
1投稿

脳筋タンクトップ さんの釣行
ハマチの他の釣り人の釣行
2025年10月
19日(日)
19:37〜19:37
1投稿

手羽崎さん さんの釣行
19日(日)
17:53〜17:53
1投稿

l3nkon さんの釣行
19日(日)
15:13〜15:13
1投稿

金欠アングラーMAX さんの釣行
19日(日)
14:58〜14:58
1投稿

ウイルナ
さんの釣行
