釣行の概要
- 釣り人
- キャー

- 日時
- 2025年12月17日(水) 06:45〜15:00
- 釣果投稿
- 1 釣果
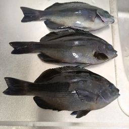
- 釣った魚
- 天気
- 17.0℃ 西南西 3.9m/s 1020hPa
- 都道府県
- 鹿児島県
- エリア
- 佐多岬
- 潮名-月齢
- 中潮 26.8
マップの中心は釣果のポイントを示すものではありません。
釣行の内容
-
- 06:45 釣行開始
-
- 佐多岬 で釣り開始
-
-
DAIWA
ダイワ 24 トーナメント ISO AGS MH-53 -
- 15:00 釣行終了
※公開されている釣果のみ表示しております。非公開釣果、メモは表示されません。
※プロフィールの年間釣行数は非公開釣果を含むため、表示日数が異なる場合があります。
※プロフィールの年間釣行数は非公開釣果を含むため、表示日数が異なる場合があります。
キャー
の2025年12月の釣行
佐多岬の他の釣り人の釣行
2025年12月
29日(月)
08:33〜08:33
1投稿
鯖ちゃん(登録ミスで3回目💦) さんの釣行
28日(日)
12:49〜13:37
4投稿
釣り吉アッキー さんの釣行
28日(日)
12:10〜12:10
1投稿
どかちん太郎 さんの釣行
25日(木)
13:38〜13:38
1投稿
セレビィさん さんの釣行
グレの他の釣り人の釣行
2025年12月
29日(月)
20:16〜20:16
1投稿
チーム グレ日和 ashikazu さんの釣行
29日(月)
17:53〜17:53
1投稿
らぽ さんの釣行
29日(月)
富山県魚津市近辺
15:24〜15:24
1投稿
いーさおいさお さんの釣行
29日(月)
15:23〜18:16
12投稿
タケキャーボ さんの釣行