釣行の概要
- 釣り人
- くろべえ
- 日時
- 2026年01月05日(月) 12:21〜12:21
- 釣果投稿
- 1 釣果
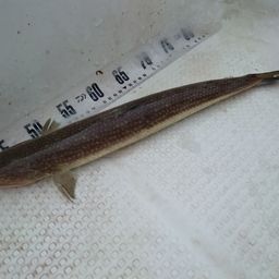
- 釣った魚
- 天気
- 7.0℃ 西南西 5.8m/s 1012hPa
- 都道府県
- 福井県
- エリア
- 鞠山海遊パーク
- 潮名-月齢
- 大潮 16.1
マップの中心は釣果のポイントを示すものではありません。
釣行の内容
-
- 12:21 釣行開始
-
- 鞠山海遊パーク で釣り開始
-
- 12:21 釣行終了
※公開されている釣果のみ表示しております。非公開釣果、メモは表示されません。
※プロフィールの年間釣行数は非公開釣果を含むため、表示日数が異なる場合があります。
※プロフィールの年間釣行数は非公開釣果を含むため、表示日数が異なる場合があります。
鞠山海遊パークの他の釣り人の釣行
2026年01月
09日(金)
16:11〜16:11
1投稿
ささのき さんの釣行
08日(木)
11:32〜11:32
1投稿
taーさん さんの釣行
07日(水)
16:03〜16:03
1投稿
水曜日のいちろー さんの釣行
05日(月)
11:22〜11:22
1投稿
山盛りカツ丼
さんの釣行
さんの釣行
エソの他の釣り人の釣行
2026年01月
10日(土)
石川県七尾市近辺
06:40〜08:00
1投稿
ドンマサラ さんの釣行
09日(金)
11:55〜11:55
1投稿
たむっち さんの釣行
09日(金)
07:23〜13:56
5投稿
オレンジハット
さんの釣行
さんの釣行
06日(火)
10:31〜10:31
1投稿
UNV さんの釣行