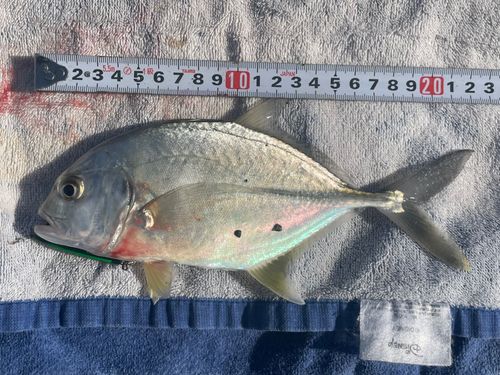
クロメジナ
クロメジナ
クロメジナ

フカセも大好きな釣りの1つです👍⸒⸒🌸
ハゴイタは美味しかったです🤤😋
釣り最高👍

112閲覧

釣果データ

釣れた日
2023年01月09日 20:53
魚種
メジナ > クロメジナ
サイズ
重さ
匹数
1匹
都道府県
宮崎県
エリア
門川湾
マップの中心は釣果のポイントを示すものではありません。
クロメジナが釣れる近場の釣果

クロメジナ × 宮崎県

クロメジナ × 門川湾

ルアー

タックル

ロッド
リール
ライン

状況

天気
 11.0℃ 北西 1.4m/s 1023hPa 
潮位
152.1cm
潮名
中潮
月齢
16.7
水温
水深
タナ(レンジ)

この日の釣行

日時
2023年01月09日 20:53〜20:53
20:53 釣行開始
門川湾で釣り開始
20:53 釣行終了

釣果はアプリから

釣りSNSアングラーズ (iOS/android)
ダウンロードページのQRコードを表示
アプリで
釣果・釣り場を
サクサク検索。
記録もできる。
今すぐアプリを
ダウンロード