チヌ
チヌ

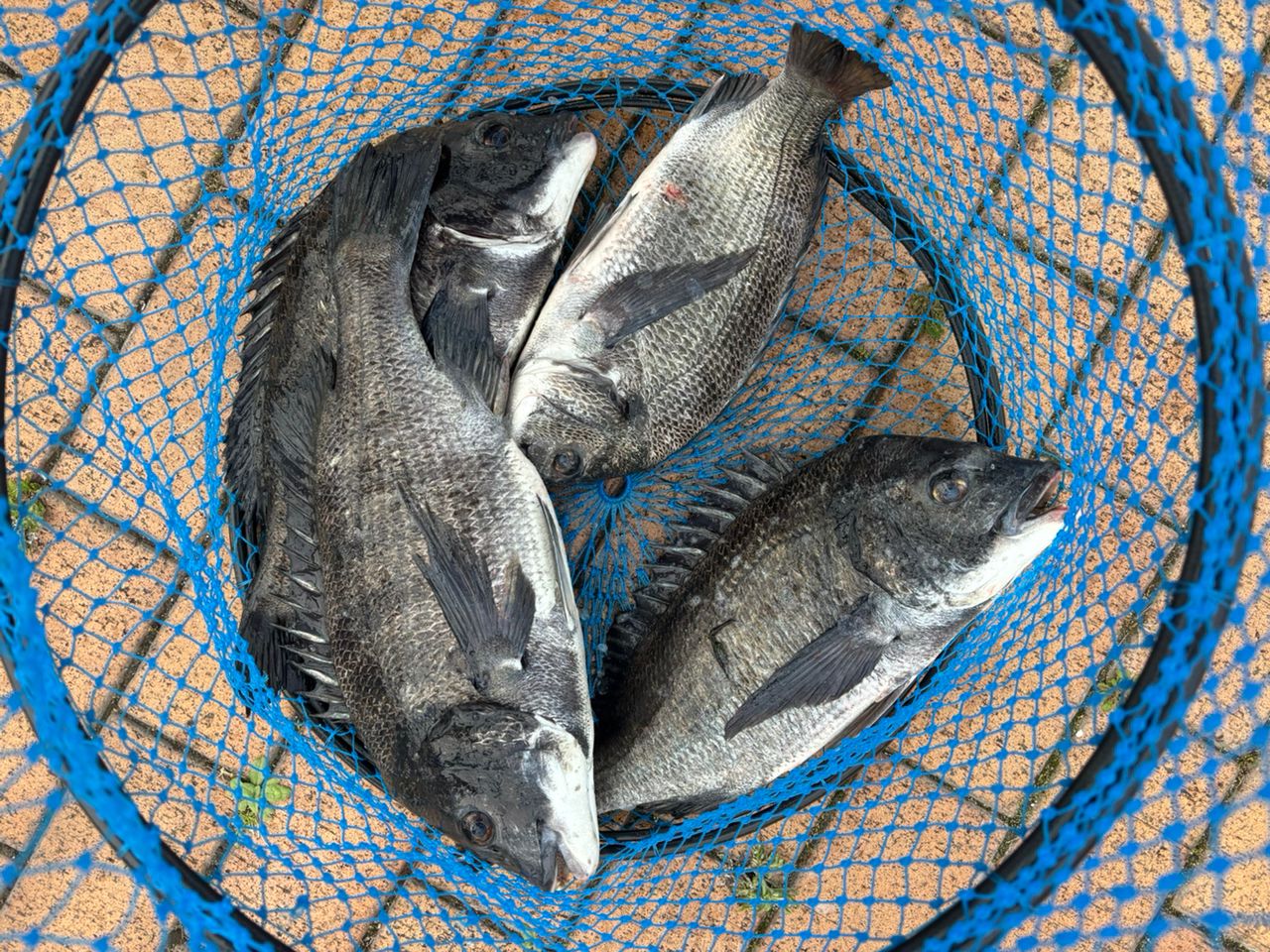
久しぶりに年無しゲッチュ✌️🤣

本日は午前中北風だったせいか?
底潮が冷たく激渋。
昼から気温上昇で活性高まるかと
期待しましたが上げ潮で流れが逆
になり中々アタリが貰えず厳しい
1日となりました😥

893閲覧
コメント6件

釣果データ

釣れた日
2025年04月25日 14:48
魚種
タイ > クロダイ > チヌ
サイズ
50.5cm
重さ
匹数
4匹
都道府県
大阪府
エリア
大阪湾
マップの中心は釣果のポイントを示すものではありません。
チヌが釣れる近場の釣果

チヌ × 大阪府

チヌ × 大阪湾

ルアー

タックル

ロッド
SHIMANO 21リンカイスペシャル 1.2
SHIMANO
21リンカイスペシャル 1.2
★★★★★ (0)
8 釣果
リール
SHIMANO 21テクニウム 2500DXG S
SHIMANO
21テクニウム 2500DXG S
81,057円~
★★★★★
★★★★★ (1)
90 釣果
ライン

状況

天気
 17.0℃ 北北東 4.7m/s 1012hPa 
潮位
88.3cm
潮名
中潮
月齢
26.7
水温
水深
タナ(レンジ)

この日の釣行

日時
2025年04月25日 14:48〜14:48
14:48 釣行開始
大阪湾で釣り開始
SHIMANO
シマノ 21リンカイスペシャル 1.2 -530
SHIMANO
シマノ 21テクニウム 2500DXG S
14:48 釣行終了

釣果はアプリから

釣りSNSアングラーズ (iOS/android)
ダウンロードページのQRコードを表示
アプリで
釣果・釣り場を
サクサク検索。
記録もできる。
今すぐアプリを
ダウンロード