みんなの釣果
カテゴリから探す
エリアから探す
地方・都道府県から探す
魚種から探す
アングラーズ釣船予約
タックルボックス
タックルボックス
お気に入り
トップ
宮城県
金華山
十八成浜漁港
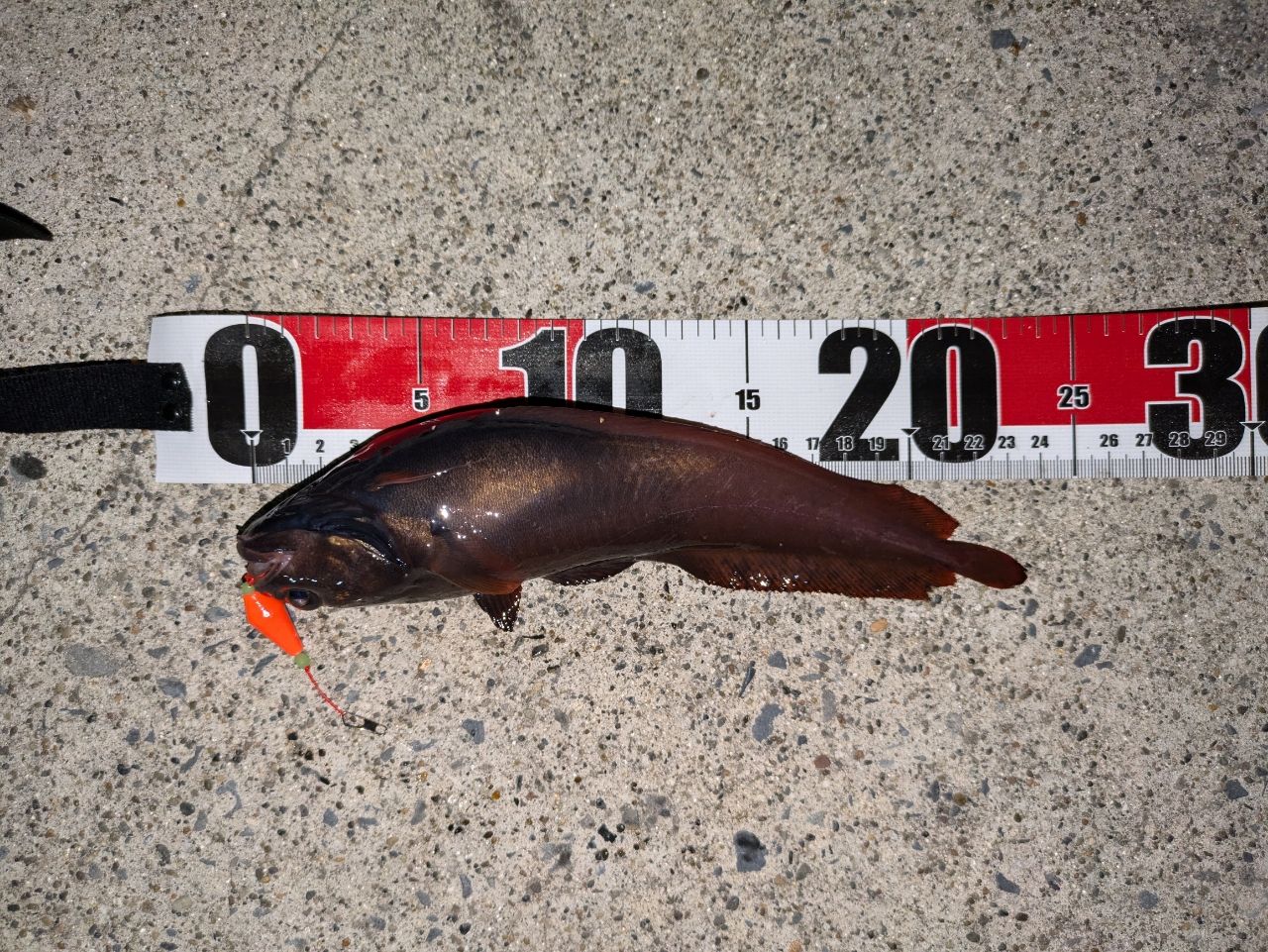
ドンコ
秘書 さんの 2025年04月27日のドンコの釣り・釣果情報(宮城県 - 十八成浜漁港)
秘書 さんの 2025年04月27日のドンコの釣り・釣果情報(宮城県 - 十八成浜漁港)
35件
210閲覧
みんなのコメント
いいね!
コメントする
<
前の釣果
(2025.04.26)
次の釣果
>
(2025.05.05)
>
釣果データ
釣れた日
2025年04月27日 00:15
魚種
ハゼ
>
ドンコ
サイズ
24.0cm
重さ
匹数
1匹
都道府県
宮城県
エリア
十八成浜漁港
マップの中心は釣果のポイントを示すものではありません。
ドンコが釣れる近場の釣果
ドンコ
×
宮城県
ドンコ
×
十八成浜漁港
ルアー
タックル
ロッド
リール
ライン
状況
天気
11.0℃ 西南西 5.0m/s 1014hPa
潮位
92.9cm
潮名
大潮
月齢
28.7
水温
水深
タナ(レンジ)
この日の釣行
日時
2025年04月27日 00:15〜00:15
00:15 釣行開始
十八成浜漁港
で釣り開始
00:15
(この釣果を表示中)
ドンコ
24.0
cm
00:15 釣行終了
釣行を詳しく見る
秘書さんの最近の釣果
すべて見る
秘書
2025年11月09日
シーバス
40.0cm
宮戸島
34
772
5
秘書
2025年10月08日
シーバス
35.0cm
宮戸島
35
878
7
秘書
2025年05月19日
シーバス
55.0cm
鳴瀬川河口
75
1257
19
秘書
2025年05月17日
シーバス
34.0cm
松島湾
39
574
すべて見る
十八成浜漁港の他の釣り人の釣果
すべて見る
宮城アングラーぷりお
2025年09月27日
2釣果
シロギス
16.0cm
十八成浜漁港
64
356
のあ∞
2025年09月14日
3釣果
シーバス
十八成浜漁港
65
269
のあ∞
2025年09月14日
3釣果
アナゴ
十八成浜漁港
58
227
のあ∞
2025年09月14日
3釣果
オウゴンムラソイ
十八成浜漁港
49
297
ドンコの他の釣り人の釣果
すべて見る
kan kan
2026年01月24日
2釣果
ドンコ
23.0cm
入船公園
33
718
kan kan
2026年01月24日
2釣果
ドンコ
20.0cm
登別漁港
31
891
BBゴリラ
2026年01月24日
ドンコ
20.0cm
広田湾
17
703
Wor-どんちゃんどんちゃんどんちゃん
2026年01月22日
ドンコ
江名港
57
1827
4
十八成浜漁港の近場の釣り場
十八成浜白浜
鮎川港
小渕漁港
給分漁港
表浜漁港
大原漁港
新山漁港
小網倉漁港
鮫浦湾
谷川漁港
福貴浦魚港
鹿立漁港
昔の十八成浜漁港の釣果
Nishitaga
2021年12月25日
5釣果
ギンポ
24.0cm
十八成浜漁港
38
255
かずきんぐ🧛♂️
2022年05月15日
マゴチ
49.0cm
十八成浜漁港
17
289
TaiKey
2023年09月19日
アジ
22.0cm
十八成浜漁港
56
785
6
すげっすな!
2023年11月28日
ウミタナゴ
十八成浜漁港
13
212
昔のドンコの釣果
ゴメちゃん
2020年09月05日
4釣果
ドンコ
砂原漁港
25
313
穴釣りの回し者
2022年05月28日
3釣果
ドンコ
30.0cm
女川湾
48
351
2
まーしーの大冒険
2020年11月28日
ドンコ
小名浜沖堤防
105
416
闇中もさく (改名)旧:時間と脚・・・
2023年05月27日
ドンコ
釜石湾
28
564
この釣果の釣り人について
秘書
社長と姫様たちと一緒に釣りしてる秘書𓆞𓆉𓈒 𓂂𓏸♡
公開釣果
14
釣果
フォロー
77
人
フォロワー
95
人
年間釣行数
0
釣行
釣り歴(年)
1
年
フォロー釣船
0
件
フォローする
釣果はアプリから
釣りSNSアングラーズ (iOS/android)
ダウンロードページのQRコードを表示
アプリで
釣果・釣り場を
サクサク検索。
記録もできる。
今すぐアプリを
ダウンロード