これでシーズンベストというのもちとさみしい。
釣果データ
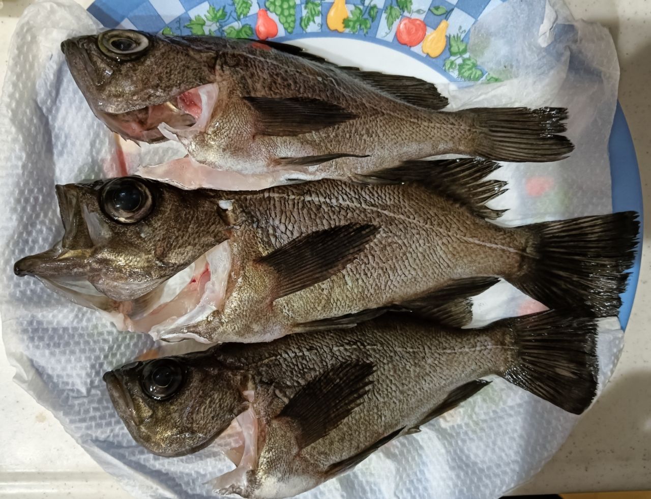
マップの中心は釣果のポイントを示すものではありません。- クロメバルが釣れる近場の釣果
タックル
- ロッド
- リール
- ライン
状況
- 天気
- 23.0℃ 西 1.4m/s 1010hPa
- 潮位
- 59.5cm
- 潮名
- 小潮
- 月齢
- 21.0
- 水温
- 水深
- タナ(レンジ)
この日の釣行
- 日時
- 2025年06月17日 23:27〜23:27
-
- 23:27 釣行開始
-
- 小豆島で釣り開始
-
- 23:27 釣行終了
アングラー77292483さんの最近の釣果 すべて見る
クロメバルの他の釣り人の釣果 すべて見る
昔の小豆島の釣果
昔のクロメバルの釣果

釣果はアプリから
釣りSNSアングラーズ (iOS/android)