ケンサキイカ
ケンサキイカ
ケンサキイカ

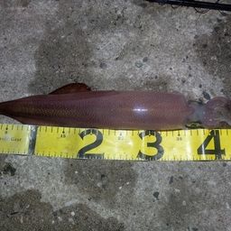
白イカ狙いのエギングは初!
max胴長36.5cmの6杯キャッチ。
こんな良いサイズが釣れるんですね〜

1,826閲覧
コメント10件

釣果データ

釣れた日
2025年06月24日 00:26
魚種
イカ > ケンサキイカ
サイズ
重さ
匹数
1匹
都道府県
鳥取県
エリア
美保湾
マップの中心は釣果のポイントを示すものではありません。
ケンサキイカが釣れる近場の釣果

ケンサキイカ × 鳥取県

ケンサキイカ × 美保湾

ルアー

タックル

ロッド
リール
ライン

状況

天気
 21.0℃ 東南東 1.4m/s 1010hPa 
潮位
1.5cm
潮名
大潮
月齢
28.0
水温
水深
タナ(レンジ)

この日の釣行

日時
2025年06月24日 00:26〜00:26
00:26 釣行開始
美保湾で釣り開始
00:26 釣行終了

釣果はアプリから

釣りSNSアングラーズ (iOS/android)
ダウンロードページのQRコードを表示
アプリで釣果投稿する
アプリで
釣果・釣り場を
サクサク検索。
記録もできる。
今すぐアプリを
ダウンロード