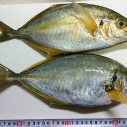
シマアジ
1,936閲覧
コメント2件

釣果データ

釣れた日
2025年07月11日 18:30
魚種
アジ > シマアジ
サイズ
36.0cm
重さ
匹数
2匹
都道府県
千葉県
エリア
館山湾
マップの中心は釣果のポイントを示すものではありません。
シマアジが釣れる近場の釣果

シマアジ × 千葉県

シマアジ × 館山湾

ルアー

タックル

ロッド
リール
ライン

状況

天気
 25.0℃ 北東 8.3m/s 1013hPa 
潮位
157.0cm
潮名
大潮
月齢
15.7
水温
水深
タナ(レンジ)

この日の釣行

日時
2025年07月11日 18:30〜18:30
18:30 釣行開始
館山湾で釣り開始
18:30 釣行終了

釣果はアプリから

釣りSNSアングラーズ (iOS/android)
ダウンロードページのQRコードを表示
アプリで
釣果・釣り場を
サクサク検索。
記録もできる。
今すぐアプリを
ダウンロード