クロダイ
クロダイ

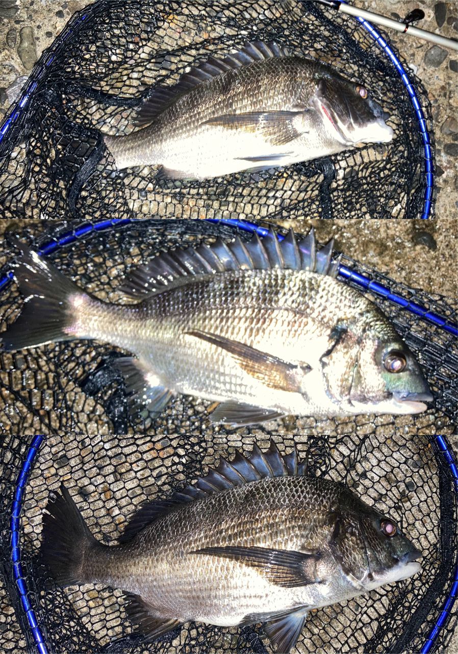
翌日になり2枚追加、、、

40位と30位のチビチヌ。。 1枚お持ち帰り❤️

、、にしても、夏祭りの格好では寒い🥶。。

405閲覧

釣果データ

釣れた日
2025年08月09日 01:50
魚種
タイ > クロダイ
サイズ
重さ
匹数
1匹
都道府県
新潟県
エリア
新潟県新潟市北区近辺
マップの中心は釣果のポイントを示すものではありません。
クロダイが釣れる近場の釣果

クロダイ × 新潟県

ルアー

タックル

ロッド
リール
ライン

状況

天気
 22.0℃ 南南西 3.9m/s 1006hPa 
水温
水深
タナ(レンジ)

この日の釣行

日時
2025年08月09日 01:50〜20:23
01:50 釣行開始
新潟県新潟市北区近辺で釣り開始
20:23 釣行終了

釣果はアプリから

釣りSNSアングラーズ (iOS/android)
ダウンロードページのQRコードを表示
アプリで
釣果・釣り場を
サクサク検索。
記録もできる。
今すぐアプリを
ダウンロード