みんなの釣果
カテゴリから探す
エリアから探す
地方・都道府県から探す
魚種から探す
アングラーズ釣船予約
タックルボックス
タックルボックス
お気に入り
トップ
兵庫県
大阪湾
アジュール舞子
垂水漁港
マダイ
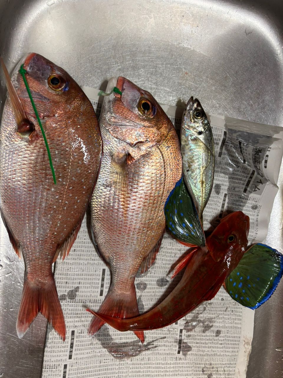
らくご さんの 2025年10月18日のマダイの釣り・釣果情報(兵庫県 - 垂水漁港)
らくご さんの 2025年10月18日のマダイの釣り・釣果情報(兵庫県 - 垂水漁港)
2キャッチ2バラシ
2ヶ月ぶりにタイラバに
29件
758閲覧
みんなのコメント
いいね!
コメントする
<
前の釣果
(2025.10.05)
次の釣果
>
(2025.10.26)
>
釣果データ
釣れた日
2025年10月18日 19:28
魚種
タイ
>
マダイ
サイズ
重さ
匹数
1匹
都道府県
兵庫県
エリア
垂水漁港
マップの中心は釣果のポイントを示すものではありません。
マダイが釣れる近場の釣果
マダイ
×
兵庫県
マダイ
×
垂水漁港
ルアー
タックル
ロッド
リール
ライン
状況
天気
24.0℃ 西南西 3.9m/s 1017hPa
潮位
118.8cm
潮名
中潮
月齢
26.3
水温
水深
タナ(レンジ)
この日の釣行
日時
2025年10月18日 19:28〜19:28
19:28 釣行開始
垂水漁港
で釣り開始
19:28
(この釣果を表示中)
マダイ
19:28 釣行終了
釣行を詳しく見る
らくごさんの最近の釣果
すべて見る
らくご
2025年11月29日
マダイ
垂水漁港
25
1830
らくご
2025年11月02日
マダイ
垂水漁港
23
649
らくご
2025年10月26日
カマス
舞鶴湾
32
892
らくご
2025年10月05日
アオリイカ
舞鶴湾
24
737
すべて見る
垂水漁港の他の釣り人の釣果
すべて見る
釣りあかちゃん
2025年12月28日
メバル
15.0cm
垂水漁港
27
622
青木一誠
2025年12月27日
アイナメ
垂水漁港
16
819
Guest05607350
2025年12月23日
ウミタナゴ
垂水漁港
24
1449
Saiga.K
2025年12月22日
ガシラ
17.0cm
垂水漁港
23
1469
マダイの他の釣り人の釣果
すべて見る
やんだ丸
2025年12月31日
マダイ
山口県下松市近辺
6
17
はくさい🎣🐟
2025年12月31日
2釣果
マダイ
長福丸
42
279
jeeen
2025年12月31日
マダイ
65.0cm
鷹島
21
734
湊のJack
2025年12月31日
マダイ
日立沖
10
124
垂水漁港の近場の釣り場
平磯海づり公園
塩屋漁港(大阪)
舞子漁港
明石海峡
塩屋海岸(垂水)
大蔵海岸
朝霧川河口
中崎のベランダ護岸
岩屋港
須磨海づり公園
道の駅あわじ
水産試験場跡
昔の垂水漁港の釣果
konta
2021年09月11日
未選択
垂水漁港
87
562
ノース原
2023年01月06日
2釣果
カサゴ
17.0cm
垂水漁港
27
903
ルアーで釣れないすにぴ🍜
2023年03月30日
2釣果
メバル
垂水漁港
47
915
小物釣坊主
2023年11月28日
3釣果
アジ
12.0cm
垂水漁港
45
728
昔のマダイの釣果
ナオユキ
2022年08月14日
マダイ
兵庫県明石市近辺
23
48
新米ハンター
2022年08月30日
8釣果
マダイ
60.0cm
男鹿半島
77
490
あつき0831
2022年08月31日
マダイ
45.0cm
とっとパーク小島
36
328
2
イグチスト
2023年06月09日
2釣果
マダイ
赤坂海岸
73
1337
4
この釣果の釣り人について
らくご
公開釣果
34
釣果
フォロー
0
人
フォロワー
65
人
年間釣行数
0
釣行
釣り歴(年)
年
フォロー釣船
0
件
フォローする
釣果はアプリから
釣りSNSアングラーズ (iOS/android)
ダウンロードページのQRコードを表示
アプリで
釣果・釣り場を
サクサク検索。
記録もできる。
今すぐアプリを
ダウンロード