釣行の概要
- 釣り人
- チーム グレ日和 ashikazu
- 日時
- 2025年11月02日(日) 22:38〜22:38
- 釣果投稿
- 1 釣果
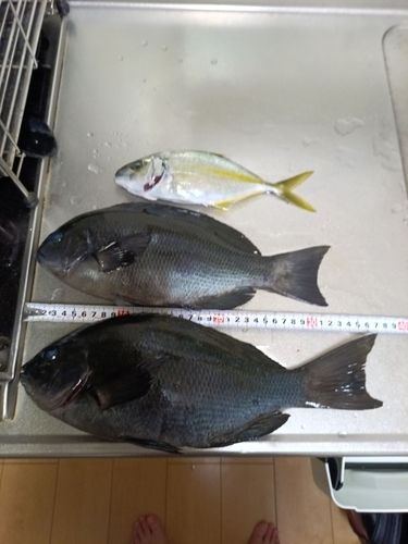
- 釣った魚
- 天気
- 15.0℃ 北西 3.3m/s 1015hPa
- 都道府県
- 和歌山県
- エリア
- 往崎
- 潮名-月齢
- 中潮 11.6
マップの中心は釣果のポイントを示すものではありません。
釣行の内容
-
- 22:38 釣行開始
-
- 往崎 で釣り開始
-
- 22:38 釣行終了
※公開されている釣果のみ表示しております。非公開釣果、メモは表示されません。
※プロフィールの年間釣行数は非公開釣果を含むため、表示日数が異なる場合があります。
※プロフィールの年間釣行数は非公開釣果を含むため、表示日数が異なる場合があります。
グレの他の釣り人の釣行
2025年11月
20日(木)
09:07〜09:07
1投稿
ひろひろ0224 さんの釣行
19日(水)
23:14〜23:14
1投稿
ようたん坊 さんの釣行
19日(水)
22:15〜22:15
1投稿
ウルトラQQ
さんの釣行
さんの釣行
19日(水)
15:38〜15:38
1投稿
DISK akc さんの釣行
さんの釣行