釣行の概要
- 釣り人
- チーム グレ日和 ashikazu
- 日時
- 2025年11月16日(日) 19:19〜19:19
- 釣果投稿
- 1 釣果
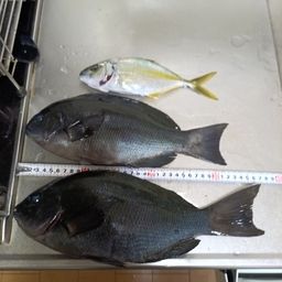
- 釣った魚
- 天気
- 15.0℃ 南南東 0.6m/s 1026hPa
- 都道府県
- 大阪府
- エリア
- 深日港
- 潮名-月齢
- 中潮 25.6
マップの中心は釣果のポイントを示すものではありません。
釣行の内容
-
- 19:19 釣行開始
-
- 深日港 で釣り開始
-
- 19:19 釣行終了
※公開されている釣果のみ表示しております。非公開釣果、メモは表示されません。
※プロフィールの年間釣行数は非公開釣果を含むため、表示日数が異なる場合があります。
※プロフィールの年間釣行数は非公開釣果を含むため、表示日数が異なる場合があります。
深日港の他の釣り人の釣行
2025年11月
17日(月)
17:32〜17:32
1投稿
もみのり さんの釣行
16日(日)
18:54〜18:54
1投稿
根掛かり人 さんの釣行
16日(日)
15:15〜15:54
2投稿
ミラクル喜多 さんの釣行
15日(土)
03:00〜03:00
1投稿
城陽の小バスハンター さんの釣行
グレの他の釣り人の釣行
2025年11月
19日(水)
23:14〜23:14
1投稿
ようたん坊 さんの釣行
19日(水)
22:15〜22:15
1投稿
ウルトラQQ
さんの釣行
さんの釣行
19日(水)
15:38〜15:38
1投稿
DISK akc さんの釣行
19日(水)
14:30〜14:30
1投稿
Yasu/sasa さんの釣行